Hastings Local Plan Draft Local Plan Preferred Options (Regulation 18)

Other elements in this consultation

Hastings Local Plan Draft Local Plan Preferred Options (Regulation 18)
Ends on 7 April 2026 (44 days remaining)

6. Site Allocation Policies Comment

6.1To understand both housing need and potential land supply in Hastings, the Council is guided by a number of evidence and base studies including:

  • Housing and Economic Development Needs Assessment Update 2023
  • Strategic Housing and Employment Land Availability Assessment 2025
  • Densification and Capacity Study Interim Report 2026
  • Landscape Sensitivity to Residential, Commercial and Solar Development within Hastings 2024
  • Strategic Flood Risk Assessment 2024
  • Sustainability Appraisal 2026

Part one – Housing and Mixed-Use Allocations Comment HS1 - Land adjacent to Sandrock Park, The Ridge (1) HS2 - Seaside Road, West St Leonards (2) HS3 - Former Westerleigh School (3) HS4 - Former Malmesbury House 123-125 West Hill Road (4) HS5 - Former West St Leonards Primary School, Bexhill Road (5) HS6 - Ore Valley (Former Power Station) (6) HS7 - Former Post Office and University of Brighton building (7) HS8 - Mayfield E, Bodiam Drive (8) HS10 - land at Rock Lane (9) HS11 - Cinque Ports Way (10) HS12 - Gambier House, 111 West Hill Road and West House, 115 West Hill Road (11) HS13 - Land North-West of Winchelsea Lane (12) HS15 - 190 Bexhill Road (13) HS16 - Site of former 12-19 Braybrooke Terrace (14) HS17 - Hastings Garden Centre, Bexhill Road (15) HS18 - Land at Tilekiln Farm (16) HS19 - 107 The Ridge (Simes and Sons) (17) HS20 - Former West Hill Road Reservoir (18) HS21 - land east of Rock Lane (19) HS23 - Land East of Beaneys Lane, The Ridge (20) HS24 - Land at Graystone Lane (21) HSS2 - 309-311 Harold Road (22) HSS3 - Land adjacent 142 Bexhill Road (23) HSS5 - land at Chiltern Drive (24) HSS8 - Former Hollingsworth Garage, Braybrooke Road (25) HSS9 - 381-391 Old London Road (former Hare & Hounds & adjacent garage) (26) HSS10 - 1st to 3rd floors, 29-30 Kings Road (27) HSS11 - 60-61 Eversfield Place (28) HSS13 - 5 The Green (29) HSS14 - former Hillesden Mansions, 7-11 Chapel Park Road (30) HSS15 - 153-154 Queens Road (First and second floors and attic) (31) HSS16 - Mayfield Farm (32)

6.2Allocating a site in the Local Plan establishes the principle that the development of the site for housing is acceptable. However, the numbers set out in site allocation policies are indicative of what might be achieved. It is for the planning application process to determine the precise details of the development.

6.3The Local Plan must take need into account and provide for an adequate amount, quality, and type of housing in the appropriate places. Policy SP2 states that the Local Plan will make provision for the delivery of a minimum of 3,174 – 3,446 dwellings over the period 2023-2041 (176 – 191 net new dwellings per annum), of which 1,187 – 1,454 are allocated in the Plan.

6.4The housing allocations have been informed by the suitability, availability and deliverability assessment which forms part of the Strategic Housing and Employment Land Availability Assessment (SHELAA) process. The site allocations have also been informed by Sustainability Appraisal (SA) process to ensure that sustainable development is achieved in accordance with the NPPF.

6.5The plan allocations reflect a brownfield first approach to development, however given the significant land constraints within Hastings greenfield sites have been identified to help meet housing needs in the borough.

6.6The approach guiding residential housing site selection at Regulation 18 is therefore as follows:

6.7Sites that are suitable, available and achievable within the plan period are identified as site allocations. These sites are identified by the prefixes HS and GT and are formal site allocations.

6.8Sites that are suitable and have the potential to be available and achievable within the plan period are identified as Regeneration Area Opportunity Sites. Areas that include these sites are identified by the prefix R and can be found in Section 5 of the Plan.

6.9Suitable sites that have the potential to be available and achievable within the plan period but that will form part of a housing renewal scheme are identified as Housing Renewal Sites. These sites are identified by the prefix H6 and can be found in Section 7 of the Plan.

6.10The sites allocated under Policy HA1 are critical to achieving the objectives and strategy set out in Chapter 1. For larger sites, or where there are unique considerations, site specific policies are provided. For smaller sites and Windfall sites, any subsequent planning application will be determined in accordance with the policies set out in this Local Plan.

6.11Appendix 2: Housing Trajectory shows when these housing allocations are expected to be delivered during the plan period, including in the first five years. This Appendix will be produced following the Regulation 18 consultation.

6.12Where site allocations identified within this plan are at risk of flooding, the council will ensure that sites are sequentially tested in line with National Planning Policy and Practice Guidance, and that the exception test is applied where necessary. This will take place following the Regulation 18 consultation.

6.13The council is aware of the importance of monitoring the delivery of allocated sites in order to ensure housing needs are being met and in order to maintain a continuous five-year supply of deliverable sites. In accordance with the NPPF, the council shall annually identify and update a supply of specific deliverable sites, sufficient to meet its housing requirement for 5 years plus an additional buffer as applicable.

Policy HA1: Applications for Housing and Mixed-Use proposals Comment HS1 - Land adjacent to Sandrock Park, The Ridge (1) HS2 - Seaside Road, West St Leonards (2) HS3 - Former Westerleigh School (3) HS4 - Former Malmesbury House 123-125 West Hill Road (4) HS5 - Former West St Leonards Primary School, Bexhill Road (5) HS6 - Ore Valley (Former Power Station) (6) HS7 - Former Post Office and University of Brighton building (7) HS8 - Mayfield E, Bodiam Drive (8) HS10 - land at Rock Lane (9) HS11 - Cinque Ports Way (10) HS12 - Gambier House, 111 West Hill Road and West House, 115 West Hill Road (11) HS13 - Land North-West of Winchelsea Lane (12) HS15 - 190 Bexhill Road (13) HS16 - Site of former 12-19 Braybrooke Terrace (14) HS17 - Hastings Garden Centre, Bexhill Road (15) HS18 - Land at Tilekiln Farm (16) HS19 - 107 The Ridge (Simes and Sons) (17) HS20 - Former West Hill Road Reservoir (18) HS21 - land east of Rock Lane (19) HS23 - Land East of Beaneys Lane, The Ridge (20) HS24 - Land at Graystone Lane (21) HSS2 - 309-311 Harold Road (22) HSS3 - Land adjacent 142 Bexhill Road (23) HSS5 - land at Chiltern Drive (24) HSS8 - Former Hollingsworth Garage, Braybrooke Road (25) HSS9 - 381-391 Old London Road (former Hare & Hounds & adjacent garage) (26) HSS10 - 1st to 3rd floors, 29-30 Kings Road (27) HSS11 - 60-61 Eversfield Place (28) HSS13 - 5 The Green (29) HSS14 - former Hillesden Mansions, 7-11 Chapel Park Road (30) HSS15 - 153-154 Queens Road (First and second floors and attic) (31) HSS16 - Mayfield Farm (32)

Proposals should where appropriate, address the following non-site-specific material considerations within proposals for development:

  • Design and character
  • Heritage impacts
  • Affordable housing
  • Housing mix
  • Residential amenity
  • Transport
  • Flood risk
  • Contamination, nuisance and hazards
  • Land stability
  • Ecology and Green and Blue infrastructure
  • Biodiversity Net Gain
  • Arboriculture and landscape
  • Open Space and Play Space
  • Waste and recycling.
  • Contributions and legal agreements

Residential development proposals must meet the requirements set out in strategic policy, including those that set out density and housing mix, unless specific site circumstances provide a clear justification for an alternative approach.

The following sites are identified on the Policies Map and are allocated for residential/or residential-led development, to deliver the housing land requirement set out in Policy SP2. The requirements set out in each allocation policy are specific to that site and should be considered in unison with the above non-site-specific material considerations.

For specific requirements applicants should refer to the council’s validation checklist.

Indicative map of density zones.  This information is provided in full in the Densification and Capacity Study in accessible text format.
Figure 8: Density Zones within Hastings Borough


Table 8: Site capable of delivering 20 dwellings or more Comment

Site Reference

Site Address

Site Area (ha)

Use

Indicative Capacity

HS1

Land adjacent to Sandrock Park, The Ridge

2.60 (net developable)

Residential

120 - 140

HS2

Seaside Road, West St Leonards

2.22

Mixed use: residential, commercial and leisure

120

HS3

Former Westerleigh School

2.15

Residential

100 - 120

HS4

Former Malmesbury House, 123-125 West Hill Road

0.7

Residential

37

HS5

Former West St Leonards Primary School field, Bexhill Road

0.8 (net developable)

Residential

70 - 120

HS6

Ore Valley (Former Power Station)

2.36

Residential

130 - 165

HS7

Former Post Office and UoB building

0.10

Mixed Use: Commercial and residential

41

HS8

Mayfield E, Bodiam Drive

1.06

Residential

48 - 58

HS10

Land at Rock Lane

1.2

Residential

26

HS11

Cinque Ports Way

(mixed use)

0.37

Mixed Use: Commercial and residential

27 - 45

HS12

Gambier House, 111 West Hill Road and West House, 115 West Hill Road

0.55

Residential

20

HS13

Land to the north west of Winchelsea Lane

1.17

Residential

20

HS15

190 Bexhill Road

0.19

Residential

32

HS16

Site of former 12-19 Braybrooke Terrace

0.12

Residential

20

HS17

Hastings Garden Centre, Bexhill Road (mixed use)

0.65

Mixed Use: commercial/community and residential

30 - 45

HS18

Land at Tilekiln Farm

4.33 (1/3 of site retained for open space)

Residential

70 - 100

HS19

107 The Ridge (Simes and Sons)

0.23

Residential

13 - 16

HS20

Former West Hill Road Reservoir

0.21

Residential

32

HS21

Land East of Rock Lane

0.72

Residential

22 - 33

HS23

Land East of Beaney’s Lane

0.40

Residential

18 – 22

HS24

Land at Graystone Lane

0.46

Residential

25 - 41

Table 9: Site capable of delivering fewer than 20 dwellings Comment

Site Reference

Site Address

Site Area (ha)

Use

Indicative Capacity (Dwellings)

HSS2

309-311 Harold Road

0.08

Residential

7

HSS3

Land adjacent 142 Bexhill Road

0.26

Residential

6

HSS5

Land at Chiltern Drive

0.20

Residential

13

HSS8

Former Hollingsworth Garage, Braybrooke Road

0.34

Residential

9

HSS9

381-391 Old London Rd (former Hare & Hounds & adjacent garage)

0.08

Residential

13

HSS10

1st to 3rd floors, 29-30 Kings Road

0.02

Residential

5

HSS11

60-61 Eversfield Place

0.02

Residential

9

HSS13

5 The Green

0.11

Residential

10

HSS14

7 - 11 Chapel Park Road

0.11

Residential

15

HSS15

153-154 Queens Road, Hastings

0.02

Residential

5

HSS16

Mayfield Farm

0.48

Residential

11

Total allocated sites

1,124 – 1,356

Policy HS1: Land adjacent to Sandrock Park, The Ridge Comment View map HS1 - Land adjacent to Sandrock Park, The Ridge

6.14Land adjacent Sandrock Park, The Ridge is a site in the north of the Borough close to the boundary with neighbouring Rother District. The site is relatively level and sits at one of the highest elevations in the Boroughs overall topography. The site is bound by woodland to the northern and eastern extents and shares a boundary with St Helens Church and the Ore Place Conservation Area. It is in close proximity to the High Weald National Landscape.

6.15The site has good access to local shops, services, sports, employment and recreation facilities and including nearby St Helen’s Wood to the south and Sandhurst Playing Field to the north. It is within walking distance of local schools and well-connected to the existing bus network along The Ridge.

6.16There is a low to negligible risk of surface water flooding at the periphery of the site, and a surface water flow pathway along the highway (The Ridge) to the north. The site will require a Flood Risk Assessment due to its size, and recommendations as arising from this report should ensure that flood risk will not be increased elsewhere as a result of either the construction or occupation phase of development.

6.17Local sewerage infrastructure in closest proximity has limited capacity to accommodate the proposed development.  Proposals for development at this location may therefore generate a need for reinforcement of the wastewater network should more detailed modelling show that additional capacity is needed. Proposals should demonstrate engagement with Southern Water at the earliest possible point to understand reinforcement needs, and any reinforcement must be completed prior to connection.  This means that development cannot be occupied until it is demonstrated that reinforcement is fully completed.

6.18The site sits within an Archaeological Notification Area, and a watching brief should be agreed with East Sussex County Council during development.

6.19The south east of the site includes ‘The Lodge’ (Lodge Cottage), a building, historically associated with a former entrance to the manor Ore Place, original in its form and detail, now vacant and in a state of disrepair. It is a building of notable architectural appearance and character and forms part of a group of buildings which include St Helens Church and a former school building, all of which contribute to the setting of the Ore Place Conservation Area. The Lodge should be retained in any overall development and any development must relate well to the significance and setting of this building, and in the wider context of the Conservation Area.

6.20Proposals for the development of the site should seek to retain and enhance the Public Right of Way (PROW) within the site that bypasses The Ridge. Schemes should ensure that the PROW benefits from good natural surveillance that follows Secured by Design principles and improves overall connectivity to the surrounding area and important services.

6.21The site is bound by woodland, including trees subject to Tree Preservation Orders which acts as a natural buffer to adjacent housing estates and The Ridge. Woodland to the south-west, west and north forms a continuous and unbroken woodland corridor to the St. Helen's Wood Local Nature Reserve and Local Wildlife Site to the south and highway access should seek to limit removal of trees, and look at innovative solutions to mitigate any impacts of loss. Natural buffers to the east adjacent to the Ore Place Conservation Area and St Helen’s Church should be preserved and enhanced to protect the setting.

6.22In addition to the tree belt corridor, the site is between protected green spaces – St. Helen's Wood Local Nature Reserve and Local Wildlife Site to the south and the Sandhurst recreation ground within the High Weald National Landscape across The Ridge to the north. It is important that any scheme that is proposed clearly shows how links in the green infrastructure network will be retained. The site has a total area of 3.9ha, of which approximately 1/3 will need to be given over to publicly accessible open space, habitat creation, ecological buffers and delivery of green and blue infrastructure. The net developable area of the site should therefore be considered to be 2.6ha.

6.23The Local Nature Reserve, Local Wildlife Site, woodland and the High Weald National Landscape must be specifically referenced in any Ecological Constraints and Opportunities Plan (ECOP), and the site itself should be thoroughly surveyed to identify constraints, taking into account the ecological and recreational impact of development. Any development proposal must seek to avoid or minimise impact on these areas during both the construction and occupation phases of the development.

6.24New development on the site will also be required to make a contribution to improvements to Sandhurst Playing Fields opposite, including toward the upgrading of the current pavilion. A contribution towards existing play facilities in the surrounding area will also be required.

6.25Vehicle access must meet acceptable highways standards, and a transport report will be required for the site, taking into account the transport impact along The Ridge.

A map showing a defined area with boundary lines in red, a purple line crossing diagonally, and various boundaries marked with different colours and hatch patterns. Surrounding streets and residential areas are also depicted.
Figure 9: Land Adjacent to Sandrock Park, The Ridge. See Figure 49 for map key.

Policy HS1: Land adjacent to Sandrock Park, The Ridge Comment View map HS1 - Land adjacent to Sandrock Park, The Ridge

Use: Residential

SHELAA Reference: HL140

Minimum Density Range: 45-55 dwellings per hectare

Minimum Indicative Capacity (net additional dwellings): 120 - 140

Site Area (gross area): 3.9ha

Site Area (net developable area): 2.6ha

Proposals for Development on this site should:

  1. Provide 40% affordable housing requirement in line with Policy SP2.
     
  2. Include a Flood Risk Assessment (FRA) and drainage survey taking into account all sources of flooding and ground conditions. The FRA and its recommendations should fully take into account sensitive receptors downstream and ensure that flood risk is not increased elsewhere.
     
  3. Take into account Southern Water’s infrastructure the crosses the site, and ensure easements are provided.
     
  4. Ensure that any necessary reinforcement of the sewerage system is in place to accommodate the quantum and type of proposed development prior to connection, and that such reinforcement is agreed with Southern Water.  This will be secured by condition.
     
  5. Include a maintenance and management plan for any new, retained or improved flood mitigation or adaptation measures to ensure they will be safe and functional for their intended lifetime, including those related to site specific SuDS.
     
  6. Include a Historic Environment Record (HER) informed desk-based assessment of potential interests within an Archaeological Notification Area and agree to a ‘watching brief’ during any development works (as advised by East Sussex County Council).
     
  7. Avoids unacceptable harm or loss to the significance and setting of the Ore Place Conservation Area and St Helen’s Church.
     
  8. Be of a high quality with a strong visual architectural character and appearance and should retain and restore The Lodge (Lodge Cottage) or otherwise demonstrate how the demolition of The Lodge (Lodge Cottage) would provide an opportunity for a more holistic design response.
     
  9. Retain and enhance the Public Rights of Way within the site following the principles of Secured by Design and support connections to the wider walking and cycling network and key local services.
     
  10. Provide an area equivalent to at least 1/3 of the site for open space, habitat creation, and delivery of green and blue infrastructure. Publicly accessible open space will be secured by legal agreement in perpetuity, and must be of a size and quality that supports recreational use.
     
  11. Retain, enhance or provide boundary landscaping and noise screening to act as a buffer from The Ridge and existing residential development, excluding the access point to the site.
     
  12. Include an Ecological Constraints and Opportunities Plan (ECOP) and incorporate appropriate conservation and mitigation measures as recommended by the ECOP. The ECOP must make specific reference to woodland within and adjacent to the site, the High Weald National Landscape and St. Helens Wood Local Wildlife Site and Local Nature Reserve. The assessment must take into account any additional recreational impacts that may result from the proposal during all phases of development.
     
  13. Be supported by a Transport Report and indicate how the conclusions and recommendations of the Report have been incorporated within the development.
     
  14. Ensure vehicular access to the site meets appropriate highways standards.

Policy HS2: Seaside Road, West St Leonards Comment View map HS2 - Seaside Road, West St Leonards

6.26Seaside Road, West St Leonards is a vacant brownfield site with potential to be used as a mixed-use development incorporating 120 residential dwellings alongside commercial, leisure or recreational uses. This site should deliver a high-quality destination leisure environment for both visitors and residents alike, and provide clear links to the existing walking, wheeling and cycling network to create a vibrant and active connection to the wider seafront including the beachside area of the Combe Valley Countryside Park.

6.27Seaside Road is one of the few remaining significant re-development sites within the seafront resort area. It presents an opportunity to create a high-quality development which, together with the adjacent Cinque Ports Way site, will both regenerate the area and act as a tourist attraction in its own right. The development should seek cohesion with the nearby Bexhill Road Local Centre by improving existing pedestrian and cycle access along Grosvenor Gardens and creating an attractive and safe route for residents and visitors that is well-integrated with the existing A259 crossing point that links the site to West St Leonards Station.

6.28Commercial, recreational and leisure uses should be sensitive to and compatible with the seafront location of the development and should take advantage of opportunities to create a broad promenade for pedestrians and cyclists behind the seawall running east to west across the site and improve access to the beach itself. This should also act as a way of protecting views along the seafront.

6.29As part of the recreation offer, public open space must be delivered in the northern part of the site opposite Seaside Way due to the presence of an underground water tank. There is an existing playground on the site that must be retained or sympathetically relocated to the same standard or better prior to the occupation of the development.

6.30Improvements to the seawall will be required and the existing areas of vegetative shingle habitat should be protected with opportunities explored for their enhancement. There is tidal and fluvial flood risk (Zone 3) with a high groundwater table on the site and so a Flood Risk Assessment taking into account all potential sources of flooding will be required and mitigation as advised by the report should be incorporated into any potential scheme and maintained for its lifetime. Safe access and exit for all residents must be provided.

6.31Sustainable Drainage Systems (SuDS) for the site may need to be highly bespoke and should ensure that any potential for contamination of sensitive receptors both within and surrounding the site arising from recreational, residential and highway use arising from development is mitigated appropriately.

6.32The eastern part of the site contains filled land and there have been previous commercial uses elsewhere on the site. Proposals will be expected to provide an assessment of ground conditions and potential contamination.

6.33Southern Water have a number of underground assets within the site, including tanks and pumping facilities.  Easements to allow the maintenance of assets will need to be provided and maintained.  Consultation with Southern Water is recommended at an early stage to inform any proposed scheme.

6.34Local sewerage infrastructure in closest proximity has limited capacity to accommodate the proposed development.  Proposals for development at this location may therefore generate a need for reinforcement of the wastewater network should more detailed modelling show that additional capacity is needed. Proposals should demonstrate engagement with Southern Water at the earliest possible point to understand reinforcement needs, and any reinforcement must be completed prior to connection.  This means that development cannot be occupied until it is demonstrated that reinforcement is fully completed.

6.35The site, given its size and location, will be expected to support a varied housing mix and affordable housing will also be required as part of the mix.

6.36The Council will expect to see a high-quality innovative design with particular regard to sustainability. The Grosvenor Gardens Conservation Area sits immediately to the east of this site. Any new development on this site must sustain and enhance the setting of the conservation area.

6.37The location, scale and massing of housing units should have regard to the outlook of adjacent properties in Seaside Road and Grosvenor Gardens. Opportunities should be taken where possible to exploit the sea views that the site offers.

Area of West Marina outlined in red, showing surrounding streets and plots, including Bexhill Road and Sea Side Road, with nearby retail park and parking indicated.
Figure 10: Seaside Road, West St Leonards

Policy HS2: Seaside Road, West St Leonards Comment View map HS2 - Seaside Road, West St Leonards

Use: Mixed Use: Residential, Commercial and Leisure.

SHELAA Reference: HL9

Minimum Indicative Capacity (net additional dwellings): 120

Site area (gross): 2.22ha

Proposals for development on this site should:

  1. Provide 25% affordable housing requirement in line with Policy SP2.
  2. Include leisure, recreation and/ or commercial uses that are sensitive to and compatible with the seafront location.
  3. Explore opportunities for co-ordinating development with the Cinque Ports Way site (HS11), or allowances made, including any road and junction improvements.
  4. Include walking and cycling links to ensure local connectivity, including to local community infrastructure, green spaces and public transport provision, taking into account site topography. This could include:
  • Strengthening the link to West St Leonards Station and the cycle route and public right of way at the south of the site
  • Accessible pedestrian routes to the A259 bus corridor, incorporating high quality bus passenger waiting facilities.
  • Ensuring vehicular assess to the site does not conflict with the cycleway/promenade to the south of the site.
  1. Ensure that the overall design responds to underground constraints, including Southern Water’s underground infrastructure in the design of the layout of the site. Easements would be required, which may affect the site layout or require diversion, and these should be clear of all proposed buildings and tree planting.
  2. Ensure that any necessary reinforcement of the sewerage system is in place to accommodate the quantum and type of proposed development prior to connection, and that such reinforcement is agreed with Southern Water.  This will be secured by condition.
  3. Avoid unacceptable harm to the significance and setting of the Grosvenor Gardens Conservation Area.
  4. Minimise harm to vegetative shingle habitat, and enhance where possible.
  5. Provide a public realm and promenade that is attractive and inviting to residents and tourists that should also act as a way of protecting views along the seafront. Pedestrian access to the beach should be enhanced, particularly to the west of the site near the existing access at Cinque Ports Way.
  6. Provide new public open space land above the underground tank in the north of the site with informal opportunities for ‘play’ integrated into the design of the site and retaining or relocating the existing play space.
  7. Include a Flood Risk Assessment (FRA) and drainage survey taking into account all sources of flooding, potential for contamination and ground conditions and be informed by appropriate hydrological monitoring. This should include improvements to the sea wall and contributions to ongoing maintenance in light of tidal and fluvial flood risk (Zone 3) which should be secured by legal agreement. Proposed improvements to sea defences should also take account of their impact upon Impact Risk Zones for Dungeness, Romney Marsh & Rye Bay SPA marine area and the Beachy Head East MCZ and mitigate any harms caused.
  8. Include a maintenance and management plan for any new, retained or improved flood mitigation or adaptation measures to ensure they will be safe and functional for their intended lifetime, including those related to site specific SuDS.
  9. Incorporate a creative design response to integrating the electricity substation.
  10. Provide a connection to the sewerage system at the nearest point of adequate capacity, as advised by Southern Water and ensure future access to the existing sewerage and water supply infrastructure for maintenance and upsizing purposes.

Policy HS3: Former Westerleigh School Comment View map HS3 - Former Westerleigh School

6.38Former Westerleigh School provide an opportunity for redevelopment of the former school site.

6.39The topography of the land, the existing mature trees within the site and important nature conservation issues will need to be explored in any scheme that is put forward for this site.

6.40The site, given its size and location, will be expected to support a varied housing mix and affordable housing will also be required. Of particular importance for this site will be measures to reduce surface water flood risk, and Sustainable Drainage Systems are likely to be required. Connections between the green space protected on site and those existing green spaces off site will also need to be shown on any application to ensure the conservation and enhancement of the green infrastructure network.

6.41The site will require vehicular access to the site that is developed to an adoptable standard. The potential vehicular access does not need to follow the line of the existing road and can consider land to the south of the existing access.

Add alt text here
Figure 11: Former Westerleigh School

Policy HS3: Former Westerleigh School Comment View map HS3 - Former Westerleigh School

Use: Residential

SHELAA Reference: HL10

Minimum Density Range: 45-55 dwellings per hectare

Minimum Indicative Capacity (net additional dwellings): 100 - 120

Sites Area (gross): 2.15ha

Proposals for Development on this site should:

  1. Provide 25% affordable housing requirement in line with Policy SP2
  2. Be informed by slope stability reports and a geotechnical report due to the site topography.
  3. Maintain existing green corridors or replace them with comparative new green corridors.
  4. Construct vehicular access to the site to an adoptable standard.
  5. Include walking and cycling links to improve local connectivity, including to local community infrastructure, green spaces and public transport provision, taking into account site topography.
  6. Provide an Arboriculture Plan that demonstrates how existing trees and proposed new trees on the site will be integrated into the development.

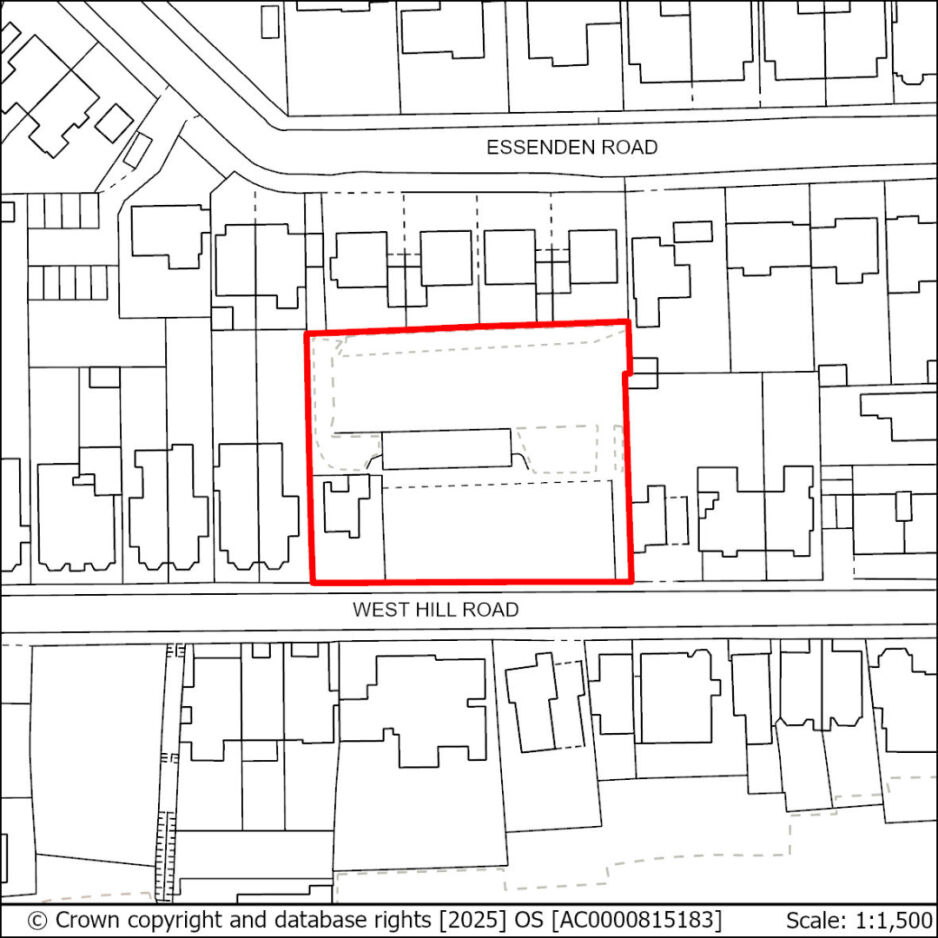
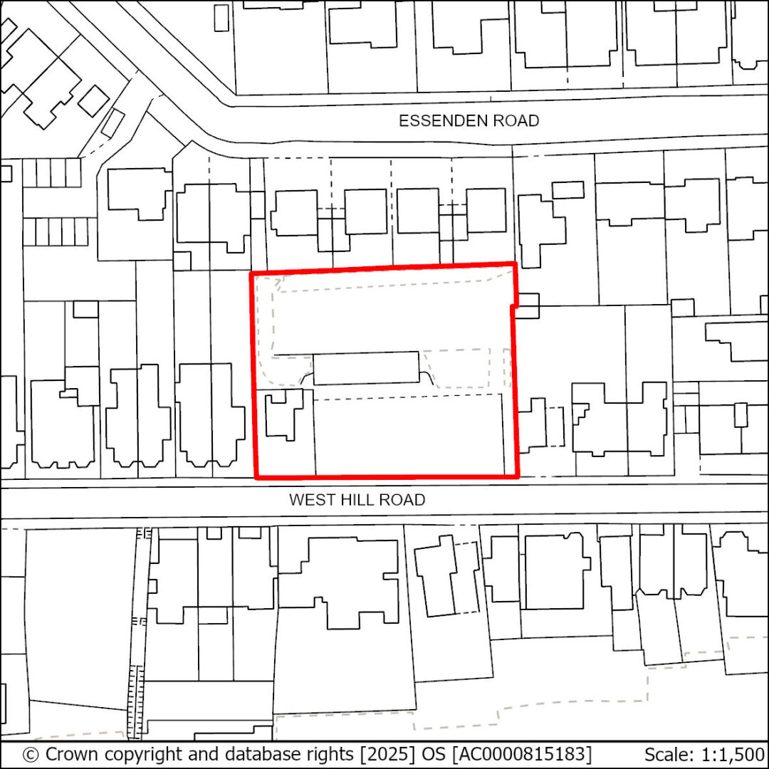
Policy HS4: Former Malmesbury House, 123-125 West Hill Road Comment View map HS4 - Former Malmesbury House 123-125 West Hill Road

6.42The site occupies an elevated prominent location at the western end of the Grosvenor Gardens Conservation Area and is visible from a distance, particularly from the direction of the seafront. Any development must therefore respect longer distance views of the site as well as its immediate surroundings.

6.43The cliff to the rear of the site is a Local Wildlife Site and applicants will also be required to demonstrate that their development will not threaten the stability of the cliff or ecological significance of the area. Applicants will be required to submit an ecology and land stability report.

Add alt text here
Figure 12: Former Malmesbury House, 123-125 West Hill Road

Policy HS4: Former Malmesbury House, 123-125 West Hill Road Comment View map HS4 - Former Malmesbury House 123-125 West Hill Road

Use: Residential

SHELAA Reference: HL12

Minimum Indicative Capacity (net additional dwellings): 37

Sites Area (net): 0.7ha

Proposals for Development on this site should:

  1. Provide 25% affordable housing requirement in line with Policy SP2.
     
  2. Consider that the site occupies an elevated prominent location at the western end of the conservation area and is visible from a distance, particularly from the direction of the seafront. Any development must therefore respect longer distance views of the site as well as its immediate surroundings. The proposal should avoid unacceptable harm to the significance and setting of the Grosvenor Gardens Conservation Area and designated heritage assets at Marina.
     
  3. Consider and enhance the contribution to the overall character of the area derived from the presence of cliffside vegetation cover, including mature trees and shrubs.
     
  4. Investigate the impact of land stability and be informed by slope stability reports and a geotechnical report due to the presence of retaining walls and proximity to cliff edge. Incorporate mitigation measures as appropriate and include a buffer strip of 10 metres from the cliff edge for any new development.
     
  5. Assess the ecological and recreational impact of the proposed development on the Caves Road Cliff Local Wildlife Sites. Proposals should seek to avoid or mitigate any identified impact.
     
  6. Provide a connection to the sewerage system at the nearest point of adequate capacity, as advised by Southern Water and ensure future access to the existing sewerage and water supply infrastructure for maintenance and upsizing purposes.
     
  7. Take account of Southern Water's underground infrastructure in the design of the layout of the site. Easements would be required, which may affect the site layout or require diversion, and these should be clear of all proposed buildings and tree planting.
     
  8. Include walking and cycling links to ensure local connectivity, including to local community infrastructure, green spaces and public transport provision, taking into account site topography.

Policy HS5: Former West St Leonards Primary School, Bexhill Road Comment View map HS5 - Former West St Leonards Primary School, Bexhill Road

6.44Former West St Leonards Primary School is a brownfield site in the west of the borough which has had a number of previous uses. The site slopes north to south and is vulnerable to flooding from surface water and river flooding. The Hollington Stream runs alongside the eastern boundary. Parts of the site to the south and west are in Flood Zone 3b, and a Flood Risk Assessment taking into account all potential sources of flooding will be required and mitigation as advised by the report should be incorporated into any potential scheme and maintained for its lifetime. The Hollington Stream to the east and south of the site is important ecological asset and is also engineered to avoid unacceptable flood risk so close working with the council and the Environment Agency is encouraged. Safe access and exit for all residents must be provided.

6.45Adequate buffer zones should be incorporated into any proposal that takes into account riparian zones, the impacts of climate change on flood risk, BAP Priority Habitat (deciduous woodland) to the west of the site and Southern Water’s infrastructure to the south-east. Natural Flood Management Measures, such as floodplain restoration, may be appropriate within this site.

6.46Sustainable Drainage Systems (SuDS) for the site may need to be highly bespoke and should ensure that any potential for contamination of sensitive receptors both within and surrounding the site arising from recreational, residential and highway use arising from development is mitigated appropriately. Easements should be provided to allow the monitoring of water quality.

6.47Mitigations should not interfere with the existing hydrological regime of the site due to the potential for impact on wetland habitats. The site will require hydrological monitoring to determine the potential for impact, and this should in turn inform ecological assessment of the site. Any discharge rates must be agreed with the Pevensey and Cuckmere Water Level Management Board before any planning permission is granted.

6.48The site sits within the South Saxons Local Wildlife Site (LWS) and is in the main neutral grassland with a small reedbed in the south-west corner. The LWS and the Hollington Stream must be specifically referenced in any Ecological Constraints and Opportunities Plan (ECOP), and the site itself should be thoroughly surveyed to identify constraints, taking into account the ecological and recreational impact of development. Any development proposal must seek to avoid or minimise impact on these areas during both the construction and occupation phases of the development.

6.49Proposals for the development of the site should seek to retain and enhance the Public Right of Way (PROW) within the site that connects Edinburgh Road to Filsham Road.

6.50The site was formerly landfill and may still produce landfill gas. There is also a small area of contaminated land in the north-western corner of the site. An assessment of potential contamination will therefore be required.

6.51Vehicle access must meet acceptable highways standards, and a transport report will be required for the site.

A detailed map showing a drainage or flood risk assessment area with various colour-coded zones, lines, and contours, including residential streets, water bodies, and infrastructure boundaries.
Figure 13: Former West St Leonards Primary School. See Figure 49 for map key.

Policy HS5: Former West St Leonards Primary School, Bexhill Road Comment View map HS5 - Former West St Leonards Primary School, Bexhill Road

Use: Residential

SHELAA Reference: HL115

Minimum Density Range: 90-150 dwellings per hectare

Minimum Indicative Capacity (net additional dwellings): 70 – 120

Site Area (gross area): 3.5ha

Sites Area (net developable area): 0.8ha

Proposals for Development on this site should:

  1. Provide 25% affordable housing requirement in line with Policy SP2.
     
  2. Include a Flood Risk Assessment (FRA) and drainage survey taking into account all sources of flooding, potential for contamination and ground conditions and be informed by appropriate hydrological monitoring. The FRA and its recommendations should fully take into account the engineering of the Hollington Stream.
     
  3. Include a maintenance and management plan for any new, retained or improved flood mitigation or adaptation measures to ensure they will be safe and functional for their intended lifetime, including those related to site specific SuDS.
     
  4. Consider the use of Natural Flood Management Measures to help manage flood risk within the site and provide easements to allow continued monitoring of the Hollington Stream.
     
  5. Have discharge rates agreed with the Pevensey and Cuckmere Water Level Management Board (PCWLMB) prior to granting of permission.
     
  6. Incorporate buffer zones around watercourses (10m), BAP Priority Habitat to the west (15m) and any necessary allowances for climate change.
     
  7. Include an Ecological Constraints and Opportunities Plan (ECOP) and incorporate appropriate conservation and mitigation measures as recommended by the ECOP. The ECOP must make specific reference to the Hollington Stream and South Saxons Local Wildlife Site. The assessment must take into account any additional recreational impacts that may result from the proposal during all phases of development.
     
  8. Retain and enhance the PROW within the site, and support connections to the wider walking and cycling network and key transport hubs including the station at West St Leonards.
     
  9. Be supported by a Transport Report. Proposals must also indicate how the conclusions and recommendations of the Report have been incorporated within the development.
     
  10. Ensure vehicular access to the site meets appropriate highways standards, and be capable of providing safe access and exit from the site during flood events.

Policy HS6: Ore Valley (Former Power Station) Comment View map HS6 - Ore Valley (Former Power Station)

6.52The Ore Valley (Former Power Station) is a brownfield former industrial site with potential for residential redevelopment.

6.53The developable parts of this site are confined to the southern half and a smaller area to the north. The remainder of the site is woodland, which should be retained and arrangements made for its management. Access is available from an existing access point to Fellows Road at the eastern end of the site.

6.54The site is located in an area of deep surface water flood risk, and Southern Water has indicated that there is currently insufficient sewerage capacity to serve the site. It is also located adjacent to a designated Local Wildlife Site and will require its own ecological assessment in terms of future development.

6.55Local sewerage infrastructure in closest proximity has limited capacity to accommodate the proposed development.  Proposals for development at this location may therefore generate a need for reinforcement of the wastewater network should more detailed modelling show that additional capacity is needed. Proposals should demonstrate engagement with Southern Water at the earliest possible point to understand reinforcement needs, and any reinforcement must be completed prior to connection.  This means that development cannot be occupied until it is demonstrated that reinforcement is fully completed.

6.56The site will be expected to support a varied housing mix, including affordable housing. Given the previous uses of this site there is potential for contamination, which would need to be investigated.

A detailed map showing a land area outlined with a red border, including a pond at the southwestern end and surrounding green and blue striped zones. The map features nearby residential streets and plots, with some areas shaded in hatched lines.
Figure 14: Ore Valley (Former Power Station). See Figure 49 for map key.

Policy HS6: Ore Valley (Former Power Station) Comment View map HS6 - Ore Valley (Former Power Station)

Use: Residential

SHELAA Reference: HL39

Minimum Density Range: 55-70 dwellings per hectare

Minimum Indicative Capacity (net additional dwellings): 130-165

Site Area (gross): 2.36ha

Proposals for Development on this site should:

  1. Provide 25% affordable housing requirement in line with Policy SP2.
  2. In all cases retain the woodland area to the north of the site corresponding to approximately 0.85 ha (capacity has been calculated net of this site area).
  3. Include walking and cycling links to ensure local connectivity to Ore Station, including to local community infrastructure, green spaces and public transport provision, taking into account site topography.
  4. Ensure vehicular access to the site is from the eastern part of the site through Bromsgrove Road. Development should account for the upgrading of access and ensuring the safety of non-motorised traffic.
  5. Be supported by a Flood Risk Assessment and detailed Drainage Strategy which considers the following;
    • The high groundwater table and implementation of a suitable drainage strategy informed by onsite monitoring and soil percolation testing.
    • The provision of a storage pond in the western part of the site. The drainage strategy should seek to attenuate surface water within the pond before discharging into the culverted Ordinary Watercourse in the southern part of the site.
  6. Ensure that any necessary reinforcement of the sewerage system is in place to accommodate the quantum and type of proposed development prior to connection, and that such reinforcement is agreed with Southern Water.  This will be secured by condition.
  7. Assess the ecological and recreational impact of the proposed development on the adjacent Broomgrove Local Wildlife Site. Proposals should seek to avoid or mitigate any identified impact.

Policy HS7: Former Post Office and University of Brighton building Comment View map HS7 - Former Post Office and University of Brighton building

6.57The Former Post Office and University of Brighton building is a town centre brownfield site. The site is suitable for mixed use development, with retail uses at the ground floor to provide an active frontage to the development. The site will be expected to support a varied housing mix and to include affordable housing.

6.58New development will have to take account of the amenity of adjoining residents and businesses due to the town centre location. The development should preserve and enhance to conservation area and take consideration of views to and from Hastings Castle.

6.59Proposals should support ensuring that the public realm in priory square is enhanced and provide appropriate improvements to open space and street furniture.

Outline of a building outlined in red on a map, located between Prior Street and Havelock Road, near Cambridge Road and Robertson Street.
Figure 15: Former Post Office and University of Brighton building

Policy HS7: Former Post Office and University of Brighton building Comment View map HS7 - Former Post Office and University of Brighton building

Use: Mixed Use

SHELAA Reference: HL138

Minimum Indicative Capacity (net additional dwellings): 41

Site Area (gross): 0.1

Proposals for Development on this site should:

  1. Provide 25% affordable housing requirement in line with Policy SP2.
     
  2. Enhance public realm within Priory Square, including policy compliant ‘greening’ to the site in a form appropriate to the urban setting, seating and improvements to open space to encourage active and positive daytime use and support the promotion of Priory Street as a secondary route to the Town Centre and Bohemia.
     
  3. Provide for active uses at ground floor level which should include retail, leisure or other town centre complementary uses which also preserve the frontage of the former post office building.
     
  4. Avoid unacceptable harm to the significance of the conservation area and long-range views of and from Hastings Castle.
     
  5. Take appropriate measures to mitigate the impact of noise on residential dwellings due to location within the active nighttime economy setting.
     
  6. Enhance Priory Square itself following the principles of Secured by Design to create a safe and welcoming space for all users.
     
  7. Include easements for works and infrastructure access to surrounding premises.
     
  8. Provide a connection to the sewerage system at the nearest point of adequate capacity, as advised by Southern Water and ensure future access to the existing sewerage and water supply infrastructure for maintenance and upsizing purposes.

Policy HS8: Mayfield E, Bodiam Drive Comment View map HS8 - Mayfield E, Bodiam Drive

6.60Mayfield E, Bodiam Drive is a gently sloping site at the edge of an existing residential area, and there is the potential for this site to accommodate at least 38 dwellings. This site is in council ownership, and consideration has been given to the sale value of the land which the Council hopes to achieve and the potential for the site to provide affordable housing. The council is working to ensure that the site delivers 100% affordable housing.

6.61There are opportunities to connect this site to the Mayfield Farm development by road or footpath which would aid permeability, making it easier for people to travel to and from their homes. There is also a good opportunity to include an access footpath to the existing bus stop on Bodiam Drive at the north-east corner of the site.

6.62Landscaping and potentially noise screening (hedging for example), is likely to be required along the western border of the site to shield the development from the Queensway Road. Any development on this site could potentially affect the setting of Mayfield Farmhouse; a Grade II listed building that is sited immediately to the south-west of the site. Due to the size of the site, a Flood Risk Assessment is required.

A land parcel outlined in red, with pathways and structures within, borders residential streets Bodiam Drive and Queensway, and adjacent to Mayfield Lane.
Figure 16: Mayfield E, Bodiam Drive

Policy HS8: Mayfield E, Bodiam Drive Comment View map HS8 - Mayfield E, Bodiam Drive

Use: Residential

SHELAA Reference: HL4

Minimum Density Range: 45 – 55 dwellings per hectare

Minimum Indicative Capacity (net additional dwellings): 48 - 58

Site Area (gross): 1.06ha

Proposals for Development on this site should:

  1. Provide affordable housing.
  2. Include walking and cycling links to improve local connectivity, including to local community infrastructure, green spaces and public transport provision, taking into account site topography.
  3. Avoid unacceptable harm to the significance and setting of the Grade II listed Mayfield Farmhouse that is sited immediately to the south west of the site.
  4. Provide boundary landscaping and noise screening along the western border of the site to act as a buffer to Queensway to the west.
  5. Ensure the existing depression to the south of the site should be retained and incorporated into the surface water drainage system, as part of the proposed development.
  6. Take account of Southern Water's underground infrastructure in the design of the layout of the site. Easements would be required, which may affect the site layout or require diversion, and these should be clear of all proposed buildings and tree planting.
  7. Provide an Arboriculture Plan that demonstrates how existing trees on the site will be integrated into the development particularly those contained within the south eastern corner of the plot and those that border the curtilage of the listed building.
  8. Ensure the existing green corridor should be maintained or replaced by comparative new green corridors.
  9. Ensure the layout of the site should be arranged so that the rear private gardens of the residential units are positioned immediately adjacent to the boundary of the farmhouse to protect the setting of the listed building. Hedging should be considered to reinforce the natural screening rather than walls or fences.

Policy HS10: Land at Rock Lane Comment View map HS10 - land at Rock Lane

6.63Land at Rock Lane is a greenfield site located at the boundary with Rother district council. The site adjoins a development to the northern boundary in Rother. The site is located in the High Weald National Landscape Area of Outstanding Natural Beauty (AONB). The site is suitable for residential development and would be expected to achieve 40% affordable housing and provide a variety of types and tenures of housing.

6.64Design proposals would need to be sensitive to the location of the site within the National Landscape and have consideration to providing an active frontage to Rock Lane. The development would need to ensure that easements and buffers are secured to infrastructure on site including drains and overhead power lines. The development would need to ensure that an ecological management plan is developed for the site.

Add alt text here
Figure 17: Land at Rock Lane

Policy HS10: Land at Rock Lane Comment View map HS10 - land at Rock Lane

Use: Residential

SHELAA Reference: HL63

Minimum Indicative Capacity (net additional dwellings): 26

Site Area (gross): 1.2ha

Proposals for Development on this site should:

  1. Provide 40% affordable housing requirement in line with Policy SP2.
  2. In line with guidance at the time of an application, include an appropriate and safe buffer at the eastern boundary of the site (adjacent Rock Lane) due to presence of overhead power lines.
  3. Create a frontage along Rock Lane and demonstrate the conservation and enhancement of the National Landscape (AONB) showing how adverse impacts will be avoided. The proposal should be in accordance with the High Weald Area of Outstanding Natural Beauty Management Plan.
  4. Maintain a 5m buffer to the existing drain along the northern boundary of the site.
  5. Provide multi-functional open and play space, including a maintenance and management plan for their lifetime.
  6. Include and enhance walking and cycling links to ensure local connectivity, access to the wider National Landscape (AONB) and Ivyhouse Lane employment area, including to local community infrastructure, green spaces and public transport provision, taking into account site topography.
  7. Include a Management Plan for the identified Ecology Zone, including measures for the management and ongoing maintenance of that area.
  8. Have regard to any relevant policies from Rother District Council development plan documents.

Policy HS11: Cinque Ports Way Comment View map HS11 - Cinque Ports Way

6.65Cinque Ports Way has redevelopment potential for a mix of uses including up to 25 units of residential alongside commercial uses. Its seafront location also gives an opportunity for commercial and tourist development. Any proposals are encouraged to Explore opportunities for co-ordinating development with the Seaside Road site (HS2), or allowances made to better enable this. Road and junction improvements should be considered in conjunction with the Seaside Road site (HS2).

6.66There is a Public Right of Way (and a National Cycle Route) running along the southern boundary, which it will be important to link to. There is a Local Wildlife Site adjacent to the west; and avoidance of harm to it is of high importance and an impact assessment will be required.

6.67This is a site that is in a flood risk area (from all types of flooding), protection and mitigation measures must be included in any scheme. Sustainable Drainage Systems (SuDS) are likely to be required along with potential contributions to the maintenance of the existing sea defences.

Outline of a property boundary in red, situated near Cinque Ports Way, with surrounding buildings and roads including Bexhill Road, Bulverhythe Road, and nearby infrastructure.
Figure 18: Cinque Ports Way

Policy HS11: Cinque Ports Way Comment View map HS11 - Cinque Ports Way

Use: Mixed Use: Residential, Commercial

Minimum Density Range: 90 - 150 dwellings per hectare

Minimum Indicative Capacity (net additional dwellings): 27 - 45

Site Area (gross): 0.37ha

Proposals for Development on this site should:

  1. Provide up to 25% affordable housing in line with Policy SP2, unless it can be demonstrated that a reduced provision is necessary to enable the provision of cultural and leisure elements of the mixed use.
  2. Include walking and cycling links to the A259 bus corridor, improve local connectivity, including to local community infrastructure, green spaces and public transport provision, including high-quality bus passenger waiting facilities.
  3. Enhance access to the public right of way and national cycle route that runs along the southern boundary and to the pedestrian walking and cycling routes to West St Leonards Station to improve connectivity.
  4. Avoid unacceptable harm to the setting of the Grosvenor Gardens Conservation Area, including opportunities for innovative design that responds well to the scale and character of the area.
  5. Provide a public realm and promenade that is attractive and inviting to residents and tourists and encourages foot or cycle journeys to the Bexhill Road Local Centre and St Leonards District Centre to the east.
  6. Assess the ecological and recreational impact of the proposed development on the Bulverhythe Shingle Beach and Cliffs Local Wildlife Site. Proposals should seek to avoid or mitigate any identified impact.
  7. Be supported by a Flood Risk Assessment and detailed drainage strategy that incorporate measures to address flood risk. This should include improvements to the sea wall and contributions to ongoing maintenance in light of tidal and fluvial flood risk which should be secured by legal agreement. This site has a high groundwater table and drainage design should be informed by onsite monitoring. Any improvements to sea defences should also take account of their impact upon Impact Risk Zones for Dungeness, Romney Marsh and Rye Bay SPA marine area and the Beachy Head East MCZ and mitigate any harms caused.
  8. Have discharge rates agreed with the Pevensey & Cuckmere Water Level Management Board (PCWLMB) prior to granting of permission.
  9. Ensure future access to the existing sewerage infrastructure for maintenance and upsizing purposes is maintained. It should also take account of Southern Water's underground infrastructure in the design of the layout of the site. Easements would be required, which may affect the site layout or require diversion, and these should be clear of all proposed buildings and tree planting.

Policy HS12: Gambier House, 111 West Hill Road and West House, 115 West Hill Road Comment View map HS12 - Gambier House, 111 West Hill Road and West House, 115 West Hill Road

6.68The site is a brownfield site, and the existing buildings were vacated by the NHS in July 2011. The site is in a prominent cliff top location that offers a good residential development opportunity.

6.69The site is located within the Grosvenor Gardens Conservation Area and the retention of the Gambier House building is preferred. Any scheme involving its demolition will need to robustly demonstrate the reasoning behind such a proposal. The site has an existing access point that should be taken advantage of.

6.70The site has potential land instability towards the southern edge of the site at the cliffs. Development should provide a land stability report and buffer zone to this area. It is also important that any adverse impacts on the adjacent Local Wildlife Site are avoided.

A map showing a property boundary outlined in red, located between West Hill Road and Caves Road, with surrounding buildings and streets, including a circular area in the centre of the property.
Figure 19: Gambier House, 111 West Hill Road and West House, 115 West Hill Road

Policy HS12: Gambier House, 111 West Hill Road and West House, 115 West Hill Road Comment View map HS12 - Gambier House, 111 West Hill Road and West House, 115 West Hill Road

Use: Residential

SHELAA Reference: HL111

Minimum Indicative Capacity (net additional dwellings): 20

Site Area (gross): 0.55ha

Proposals for Development on this site should:

  1. Provide 25% affordable housing in line with Policy SP2.
  2. Retain and restore Gambier House and West House buildings together with infill development that should be of high quality with a strong visual architectural character and appearance or demonstrate how demolition would provide an opportunity for a more holistic design response.
  3. Where Gambier House and West House are to be retained, consider the removal of 20th century extensions, particularly the extension to the east of the historic core of West House and the 1½ storey roof extension capped with pyramidal roof.
  4. Ensure strategic spatial gaps between the built form that are characteristic of the conservation area to ensure a sense of openness.
  5. Ensure infill development is of a scale to match the adjacent buildings West House and Gambier House.
  6. Ensure the existing access point is utilised.
  7. Ensure the layout of the site is arranged so that an undeveloped buffer zone is created at the southern extents of the site which shall be landscaped with appropriate planting to protect the cliff faces.
  8. Assess the ecological and recreational impact of the proposed development on the adjacent Caves Road Cliffs Local Wildlife Site. Proposals should seek to avoid or mitigate any identified impact.
  9. Avoid unacceptable harm to the significance of the Grosvenor Gardens Conservation Area.
  10. Be informed by land stability reports and a geotechnical report due to the proximity to cliff edge and possible presence of caves or voids within the cliff itself.
  11. Provide innovative solutions for any necessary on-site parking that do not dominate the site.
  12. Have discharge rates agreed with the Pevensey & Cuckmere Water Level Management Board (PCWLMB) prior to granting of permission. This site also has a high groundwater table and drainage design should be informed by onsite monitoring and not use infiltration SuDS systems and include a new sewer connection for the site.
  13. Include walking and cycling links to ensure local connectivity, including to local community infrastructure, green spaces and public transport provision, taking into account site topography.

Policy HS13: Land North-West of Winchelsea Lane Comment View map HS13 - Land North-West of Winchelsea Lane

6.71Land North-West of Winchelsea Lane is a greenfield site located in the National Landscape adjacent to residential development in Rother District. The site is steeply sloping and will require a land stability assessment. The site has potential drainage issues and will need to incorporate Sustainable Drainage Systems (SuDS). The site is within the High Weald National Landscape and therefore a sensitive form of development is required in line with Local Plan policies.

6.72The council will expect any scheme to support a varied housing mix and affordable housing will also be required.

A plot of land outlined in red, bordered by residential streets and buildings, with surrounding roads and neighbourhood layout in black and white.
Figure 20: Land North-West of Winchelsea Lane

HS13: Land North-West of Winchelsea Lane Comment View map HS13 - Land North-West of Winchelsea Lane

Use: Residential

SHELAA Reference: HL87

Minimum Indicative Capacity (net additional dwellings): 20

Site Area (gross): 1.17ha

Proposals for Development on this site should:

  1. Provide 40% affordable housing in line with Policy SP2.
  2. Demonstrate the conservation and enhancement of the National Landscape showing how adverse impacts will be avoided, mitigated or compensated for.
  3. Provide multi-functional open and play space in accordance with policy.
  4. Include and enhance walking and cycling links to ensure local connectivity.
  5. Be supported by a Flood Risk Assessment and detailed Drainage Strategy.
  6. Retain and enhance any existing green infrastructure.
  7. Be informed by slope stability reports and a geotechnical report.

Policy HS15: 190 Bexhill Road Comment View map HS15 - 190 Bexhill Road

6.73The site is a former mineral works brownfield site, with an exposed sandstone cliff face at the Northern and Eastern Boundary. There is one existing structure on the site, together with car parking and storage areas. The site itself is slightly sloping.

6.74The site straddles the middle and inner consultation zones for major hazards, and early consultation with the HSE is therefore recommended to inform any development proposal.

6.75Due to the presence of the cliff face, the history of the site and the generally sloping local topography the site will require a full and detailed land stability assessment covering the temporary (during demolition and construction) and permanent (post development) condition of the site. An appropriate buffer zone should be incorporated around the toe of the cliff, including any easement or access required to maintain any approved mitigation measures.

6.76There is the potential for perched aquifers to be present in this location, and ground investigations are recommended to inform drainage designs. It is recommended that a single report is produced to take into account land stability, drainage design and pollution mitigation.

6.77The site has an existing access point from Harley Shute Road that should be taken advantage of. Improvements to the pedestrian crossing to the South of the site at Bexhill Road may be required. Transport plans, including with regard to sustainable transport, should take into account the high traffic volume between this site and the Filsham Road junction.

Outline of a property enclosed in a red line, situated between Bexhill Road and Harley Shute Road, with a building inside the outline and nearby streets and residential areas shown.
Figure 21: 190 Bexhill Road

HS15: 190 Bexhill Road Comment View map HS15 - 190 Bexhill Road

Use: Residential

SHELAA Reference: HL14

Minimum Indicative Capacity (net additional dwellings): 32

Site Area (gross): 0.19ha

Proposals for Development on this site should:

  1. Provide 25% affordable housing in line with Policy SP2.
  2. Ensure the layout of the site is arranged so that an undeveloped buffer zone is created to the northern and western extents of the site, taking into account any proposed access arrangements to maintain any cliff fall mitigation measures.
  3. Be informed by agreed land stability and geotechnical reports covering both the temporary and permanent condition of the site, taking into account all dead and imposed loads.
  4. Include a maintenance and management plan for any new, retained or improved land stability mitigation measures to ensure they will be safe for their intended lifetime.
  5. Ensure the existing access point from Harley Shute Road is utilised.
  6. Demonstrate engagement with Health and Safety Executive at the earliest possible point to address any impacts arising from the major hazard consultation zones.
  7. Have discharge rates agreed with the Pevensey and Cuckmere Water Level Management Board (PCWLMB) prior to granting of permission.
  8. Include walking and cycling links to ensure local connectivity, including to local community infrastructure, green spaces and public transport provision, taking into account site topography.

Policy HS16: Site of former 12-19 Braybrooke Terrace Comment View map HS16 - Site of former 12-19 Braybrooke Terrace

6.78The site of former 12-19 Braybrooke Terrace is a smaller site close to Hastings Town Centre. It shares a boundary to the north and west with Linton Gardens Historic Park.

6.79It is bound by retaining structures to the north, south and west. There is a mix of levels within the site, which overall slopes steeply towards the east and south. The high retaining walls and limited rear aspect mean that the amenity of future occupants must be considered in any potential scheme; it must be demonstrated that sufficient daylight can enter all the dwellings that are proposed on site.

6.80The site was cleared in the late 1990s and formerly contained a four-story Victorian terrace. Due to the clearance activity, there is the potential for artificial ground and contamination to be present within the site.

6.81A large diameter storm water retention tunnel passes underneath the site and proposals should design any scheme taking into account any access or easement arrangements required to maintain this asset. It is recommended that advice is sought from Southern Water at an early stage by any potential applicant to inform any design, and foundations and loading and agreed with them prior to submission. Southern Water will be invited to comment on any submitted proposals.

6.82Due to the presence of retaining structures, the potential for artificial ground, the need to safeguard Southern Water’s infrastructure the site will require a full and detailed land stability assessment covering the temporary (during site preparation and construction) and permanent (post development) condition of the site.

6.83Proposals will need to consider and be informed by the need to resist ground movement and deformations during all project phases in order to protect the integrity of Linton Gardens Historic Park, the storm water retention tunnel and the adjacent dwellings to the west. It is recommended that ground investigations also take into account drainage design and any potential for contamination.

6.84Special attention must be given to surface water management measures to avoid the creation of any new hydraulic low points. It is recommended that drainage and water management is agreed with Southern Water at an early stage.

6.85Access options to the site are limited, and any proposal should be accompanied by a Transport Report, including sustainable and multimodal transport options.

6.86The site is in an overgrown condition with scrubby coverage throughout. The trees in the north of the site and adjacent to it, in Linton Gardens should also be retained, for their heritage and ecological value. Relevant ecological assessments will be required, including recommendations for any necessary translocation, habitat creation or restoration within the site.

Outline of a plot of land highlighted in red on Braybrooke Terrace, with surrounding roads, railway lines, and neighbouring properties in a black and white map.
Figure 22: Site of former 12-19 Braybrooke Terrace

HS16: Site of former 12-19 Braybrooke Terrace Comment View map HS16 - Site of former 12-19 Braybrooke Terrace

Use: Residential

SHELAA Reference: HL23

Minimum Indicative Capacity (net additional dwellings): 20

Site Area (gross): 0.12

Proposals for Development on this site should:

  1. Provide 25% affordable housing requirement in line with Policy SP2.
  2. Be informed by agreed land stability and geotechnical reports covering the temporary and permanent condition of the site, taking into account:
    1. all dead and imposed loads, and;
    2. the need to protect the integrity of the storm water retention tunnel;
    3. the need to protect the integrity of adjacent sites, including Linton Gardens.
  3. Include a maintenance and management plan for any new, retained or improved land stability mitigation measures to ensure they will be safe for their intended lifetime.
  4. Incorporate measures to protect the underground storm water tunnel during both the temporary and permanent phases of development to the satisfaction of Southern Water.
  5. Avoids unacceptable harm or loss to the significance and setting of the Linton Gardens Historic Park.
  6. Include walking and cycling links to ensure local connectivity to key transport hubs including Hastings Railways Station and National Cycle Route 2.
  7. Employ surface water management measures which avoid the creation of any new hydraulic low point as set out in SC16; these must be approved by Southern Water prior to determination.
  8. Ensure vehicular access to the site meets appropriate highways standards.
  9. Assess the ecological impact of the proposed development, including through an Arboriculture Plan that demonstrates how existing trees on site will be integrated into the development, or how compensation will be made for their loss.

Policy HS17: Hastings Garden Centre, Bexhill Road Comment View map HS17 - Hastings Garden Centre, Bexhill Road

6.87Hastings Garden Centre, Bexhill Road is a predominantly flat site to the west of the borough close to the Combe Valley Countryside Park. There are a number of existing structures on the site including the garden centre complex, tearoom, vehicle garages and a shed sales area as well as a surface carpark. The site may be suitable for a mixed-use proposal retaining some commercial uses at lower levels.

6.88Although the majority of the site sits outside Flood Zone 2, climate change allowances indicate that the whole site has the potential to be in a higher risk flood zone by 2070 – 2125. Proposals will need to be accompanied by a detailed site-specific Flood Risk Assessment taking into account the effects of climate change to demonstrate that they will not be at risk of flooding either now or in the future, nor increase the risk of flooding elsewhere.

6.89The proposed layout should take into account the need for any onsite flood mitigations as recommended by the Flood Risk Assessment, including SuDS and include a maintenance and management plan for the lifetime of any flood mitigation measures adopted, supported or introduced.

6.90The site is in close proximity to the Combe Valley Countryside Park and Combe Haven River. This designated area must be specifically referenced in any Ecological Constraints and Opportunities Plan (ECOP), and the site itself should be thoroughly surveyed to identify constraints. Any development proposal must seek to avoid or minimise impact on this are during both the construction and occupation phases of the development.

6.91Development must take into account the proximity of and contribute to the enhancement of the nearby ‘Sophie’s Play Space’ and nearby green spaces. It should also ensure that it provides safe and legible pedestrian access to the play and recreation area and the surrounding Combe Valley Countryside Park.

6.92The site falls within an Archaeological Notification Area so proposals will be referred to East Sussex County Council and, in consultation with the County Archaeologist, further investigation works and/or conservation may be required.

6.93The capacity potential of this site indicates that a Transport Report will be required. Further advice on transport matters is available from East Sussex County Council.

Outline of a property boundary highlighted in red, located near Bexhill Road and Abbey Drive, with surrounding residential buildings and a park area at the top.
Figure 23: Hastings Garden Centre, Bexhill Road

HS17: Hastings Garden Centre, Bexhill Road Comment View map HS17 - Hastings Garden Centre, Bexhill Road

Use: Mixed Use: Commercial/ Community and Residential

SHELAA Reference: HL150

Minimum Density Range: 45 - 55 dwellings per hectare

Minimum Indicative Capacity (net additional dwellings): 30 - 45

Site Area (gross): 0.65

Proposals for Development on this site should:

  1. Provide 25% affordable housing requirement in line with Policy SP2.
     
  2. Include an Ecological Constraints and Opportunities Plan (ECOP) and incorporate appropriate conservation and mitigation measures as recommended by the ECOP. The ECOP must make specific reference to the presence of the nearby Combe Valley Countryside Park and Combe Haven River and the results of site surveys of HS17 itself.
     
  3. Include a Flood Risk Assessment taking into account all sources of flooding and include a maintenance and management plan for any new, retained or improved flood mitigation or adaptation measures to ensure they will be safe for their intended lifetime, including those related to site specific SuDS.
     
  4. Provide a financial contribution to local green space management and play provision.
     
  5. include a Historic Environment Record (HER) informed desk-based assessment of potential interest within an Archaeological Notification Area and agree a 'watching brief' during any development works (as advised by East Sussex County Council).
     
  6. Include walking and cycling links to ensure local connectivity to key transport infrastructure including National Cycle Route 2.
     
  7. Have discharge rates agreed with the Pevensey and Cuckmere Water Level Management Board (PCWLMB) prior to granting of permission.

Policy HS18: Land at Tilekiln Farm Comment View map HS18 - Land at Tilekiln Farm

6.94Land at Tilekiln Farm is a site in the east of the borough close to Ore Village Local Centre. The site slopes steeply to the south-east towards the Bourne Stream which runs along the south-east boundary.

6.95The site is currently occupied in part by a former agricultural building towards the north-eastern corner of the site with the remainder being open grassland which has previously been farmed but now lies fallow. The site is bound to the rear by gardens of houses which front onto Fairlight Road, Fairlight Avenue, Tilekiln Lane, Edith Road and Harold Road and the Bourne Stream itself. The site is currently accessed from Fairlight Avenue.

6.96The site vision is for residential development covering around 2/3 of the site. The remaining 1/3 of the site should be secured as public open space by legal agreement. A maintenance and management plan will be required for open space and play facilities provided onsite.

6.97The site experiences localised flooding along the course of the Bourne Stream and has a small area of Flood Zone 3b directly adjacent to the stream and has an area of ponding in the centre of the site. A Flood Risk Assessment taking into account all potential sources of flooding will be required and mitigation as advised by the report should be incorporated into any potential scheme and maintained for its lifetime. The measures recommended by the report should ensure that the development will not contribute further to flooding associated with the Bourne Stream at lower elevations, and should include recommendations that have the potential to reduce flood risk to residential properties in nearby Clive Vale by reducing the flow rate of water entering the watercourse heavy rainfall events.

6.98Adequate buffer zones should be incorporated into any proposal that takes into account riparian zones and the impacts of climate change on flood risk. The Bourne Stream is a sensitive receptor and Sustainable Drainage Systems (SuDS) for the site should ensure that any potential for contamination of sensitive receptors both within and surrounding the site arising from recreational, residential and highway use arising from development is mitigated appropriately and existing surface water drains that discharge into the stream within the site are incorporated within any scheme, or an alternative solution is sought where this will reduce flow rates and reduce the introduction of potential pollutants to the stream. Easements should be provided to allow the monitoring of water quality.

6.99The site is also within an Archaeological Notification Area, and agreement to a ‘watching brief’ during any development must be secured.

6.100Proposals for the development of the site should seek to retain and enhance the Public Right of Way (PROW) within the site that connects Fairlight Avenue to Barley Lane, identifying opportunities to connect the footpath to any new areas of public open space delivered through the scheme.

6.101The site sits within the High Weald National Landscape and design of any scheme should be landscape-led to fit sensitively into the High Weald National Landscape and be guided by the High Weald Management Plan 2024-2039. Proposals should seek to incorporate and focus on existing key features of the site such as the Bourne Stream, trees and hedgerows and public right of way.

6.102Proposals should incorporate natural boundary screening in a manner that is sensitive to its setting within the High Weald National Landscape, including retained trees and hedgerow. A lighting plan must be provided, and lighting schemes should be designed with regard to the High Weald National Landscape Dark Skies Technical Advice Note (TAN). Proposals also should seek to minimise light spill from internal sources in line with the Dark Skies TAN through design mitigations.

6.103Due to the site sitting within the Impact Risk Zone (IRZ) for the Hastings Cliffs to Pett Beach SSSI, Natural England should be consulted at the earliest possible stage where development proposals are of a quantum and type (currently 100 dwellings) that would require consultation with Natural England.  Proposals for fewer than 100 dwellings are advised to seek the advice of Natural England as a matter of best practice.

6.104The National Landscape and the Bourne Stream must be specifically referenced in any Ecological Constraints and Opportunities Plan (ECOP), and the site itself should be thoroughly surveyed to identify constraints, taking into account the ecological and recreational impact of development. Any development proposal must seek to avoid or minimise impact on these areas during both the construction and occupation phases of the development.

6.105Due to the sloping nature of the site, its position within a river valley and the overall ground conditions detailed land stability reports will be required that take into account both the temporary and permanent condition of the site and propose mitigations to safeguard the stability of the site.

6.106A transport study or assessment is likely to be required to identify and ensure suitable access can be gained to the site and links facilitating active travel should be designed in.

Map of Land at Tilekiln Farm
Figure 24: Land at Tilekiln Farm. See Figure 49 for map key.

HS18: Land at Tilekiln Farm Comment View map HS18 - Land at Tilekiln Farm

Use: Residential

SHELAA Reference: HL148

Minimum Indicative Capacity (net additional dwellings): 70-100

Site Area (gross): 6.29ha

Site Area (net developable area): 4.19ha

Proposals for Development on this site should:

  1. Provide a minimum of 40% affordable housing requirement in line with Policy SP2.
  2. Secure a minimum of 1/3 of the site as public open space in perpetuity in a form which reflects the character and purpose for including it within the National Landscape. This will be secured by legal agreement.
  3. Incorporate opportunities for play.
  4. Include a maintenance and management plan for areas of publicly accessible open space and play.
  5. Include a Flood Risk Assessment (FRA) and drainage survey taking into account all sources of flooding, local ground conditions, the presence of surface water drains and be informed by appropriate hydrological monitoring. The FRA and its recommendations should seek to improve the flow rate of the Bourne Stream during heavy rainfall and reduce the overall risk of flooding in residential areas downstream, including through Natural Flood Management Measures.
  6. Include a maintenance and management plan for any new, retained or improved flood mitigation or adaptation measures to ensure they will be safe and functional for their intended lifetime, including those related to site specific SuDS.
  7. Incorporate measures to preserve and enhance water quality by preventing pollutants from entering the Bourne Stream, such as the use of interceptors.
  8. Incorporate buffer zones around the Bourne Stream (10m), and any necessary allowances for climate change. Provide easements to allow monitoring of the Bourne Stream.
  9. Include an Ecological Constraints and Opportunities Plan (ECOP) and incorporate appropriate conservation and mitigation measures as recommended by the ECOP. The ECOP must make specific reference to the Bourne Stream Hastings Cliffs to Pett Beach SSSI and High Weald National Landscape. , the results of site surveys of HS18 itself, and to other nearby areas of wildlife sensitivity. The assessment must take into account any additional recreational impacts that may result from the proposal during all phases of development.
  10. Retain, enhance or provide appropriate boundary treatment and landscaping and in particular respect the setting of the Bourne Stream and the location of the site within the High Weald.
  11. Provide a lighting plan for both the construction and occupation phases of the proposed development, with regard to the High Weald National Landscape Dark Skies TAN. The plan should include measures to prevent overspill from internal lighting. The lighting plan must be agreed before permission is granted.
  12. Demonstrate how the proposal aligns with the High Weald Management Plan and is sensitive to the setting within the High Weald National Landscape.
  13. Retain and enhance the PROW within the site, and support connections to the wider walking and cycling network and key transport hubs including Ore Village Local Centre.
  14. Include a Historic Environment Record (HER) informed desk-based assessment of potential interests within an Archaeological Notification Area and agree to a ‘watching brief’ during any development works (as advised by East Sussex County Council).
  15. Provide an Arboriculture Plan that demonstrates how existing trees on site will be integrated into the development, or their loss will be compensated for including the existing tree belts alongside the Bourne Stream.
  16. Be supported by a Transport Report. Proposals must also indicate how the conclusions and recommendations of the Report have been incorporated within the development.
  17. Ensure vehicular access to the site meets appropriate highways standards.
  18. Be informed by agreed land stability and geotechnical reports covering the temporary and permanent condition of the site, taking into account all dead and imposed loads.
  19. Include a maintenance and management plan for any new, retained or improved land stability mitigation measures to ensure they will be safe for their intended lifetime.

Policy HS19: 107 The Ridge (Simes and Sons) Comment View map HS19 - 107 The Ridge (Simes and Sons)

6.107107 The Ridge (Simes and Sons) is a former industrial site located close to the junction of The Ridge and Malvern Way. The site is flanked by the rear boundaries of residential properties to the north, south and west and by an active industrial site to the east so care should be taken to mitigate adverse impacts either as a result of or from being introduced to these existing uses as a result of site development. The site has retaining walls at key boundary locations. There is potential for contamination to be present onsite due to the former use, which may require remediation.

6.108Existing site structures will require demolition and clearance to return the site to a developable state.

6.109The Ore railway tunnel passes underneath the eastern part of the site and proposals should design any scheme taking into account any access or easement arrangements required to maintain this asset. It is recommended that advice is sought from the railway authority at an early stage by any potential applicant to inform any design. The railway authority will be invited to comment on any submitted proposals.

6.110Due to the potential for artificial ground, the presence of retaining walls and the need to safeguard railway infrastructure the site will require a full and detailed land stability assessment covering the temporary (during site preparation and construction) and permanent (post development) condition of the site.

6.111Proposals will need to consider and be informed by the need to resist ground movement and deformations during all project phases in order to protect the integrity of Ore Tunnel and adjacent dwellings and employment sites. It is recommended that ground investigations also take into account drainage design and any potential for contamination.

6.112The site falls within an Archaeological Notification Area so proposals will be referred to East Sussex County Council and, in consultation with the County Archaeologist, further investigation works and/or conservation may be required.

The image shows a detailed map with a red outline marking a specific area within a neighbourhood. Streets labelled "THE RIDGE" and "MALVERN WAY" are visible, along with various residential buildings and plots. The outlined area encompasses multiple properties and open spaces, indicating a designated section of the estate.
Figure 25: 107 The Ridge (Simes and Sons)

HS19: 107 The Ridge (Simes and Sons) Comment View map HS19 - 107 The Ridge (Simes and Sons)

Use: Residential

SHELAA Reference: HL149

Minimum Density Range: 55-70 dwellings per hectare

Minimum Indicative Capacity (net additional dwellings): 13 - 16

Site Area (gross): 0.23

Proposals for Development on this site should:

  1. Provide 25% affordable housing requirement in line with Policy SP2.
  2. Be informed by agreed land stability and geotechnical reports covering the temporary and permanent condition of the site, taking into account:
    1. all dead and imposed loads, and;
    2. the need to protect the integrity of the Ore tunnel;
    3. the need to protect the integrity of adjacent sites.
  3. Include a maintenance and management plan for any new, retained or improved land stability mitigation measures to ensure they will be safe for their intended lifetime.
  4. include a Historic Environment Record (HER) informed desk-based assessment of potential interest within an Archaeological Notification Area and agree a 'watching brief' during any development works (as advised by East Sussex County Council).
  5. Be supported by a Transport Report. The Report must take account of the site's proximity to The Ridge. Proposals must also indicate how the conclusions and recommendations of the Report have been incorporated within the development. In addition, development may be required to contribute to transport improvements on The Ridge
  6. Ensure vehicular access to the site meets appropriate highways standards.
  7. Assess the ecological impact of the proposed development.

Policy HS20: Former West Hill Road Reservoir Comment View map HS20 - Former West Hill Road Reservoir

6.113The former West Hill Road Reservoir is a former Water Board site unused since 1927 on the North side of West Hill Road. There are structures remaining on the site including a front reservoir, a single aspect derelict brick pump house with a flat roof, the original Victorian waterworks cottage, and the rear reservoir chambers. Due to its former use there is a potential for some element of pollution to be present.

6.114The earth-mounded front reservoir forms part of the concrete retaining wall running parallel to West Hill Road and site investigation will be required to determine how to safely remove or remediate the front structures without causing ground movement or landslide within the surrounding areas.

6.115The rear chambers consist of two vast brick-lined, earth-mounded and vaulted tanks with an internal height of about 5 metres. The roof has a row of ventilators visible from the outside within a largely grassed area.

6.116The pumping house is a mono-aspect flat roofed structure in the centre of the site, and together with the Victorian-style waterworks cottage will require demolition or incorporation into any scheme. The site is ineligible for vacant building credit due to the poor condition of the structures.

6.117The topography of the site is obscured by the structures in place within it, which at present result in a stepped site rising South-North. There is potential for the site to be remediated to a predominately flat or gently sloping topography, provided suitable engineered solutions are agreed.

6.118The site will require a full and detailed land stability assessment covering the temporary (during demolition and construction), intermediate (following removal of structures) and permanent (post development) condition of the site. The development of the site may need to be phased accordingly. It is recommended that these reports also take into account drainage design and any potential for pollution.

6.119The site is within the Grosvenor Gardens Conservation Area and there is a bus stop to the South of the site which should be retained and potentially improved by any proposed scheme.

6.120The site is in an overgrown condition with scrubby coverage throughout. Relevant ecological assessments will be required, including recommendations for any necessary translocation, habitat creation or restoration within the site.

Outline map showing a property boundary marked in red, located between Essenden Road to the north and West Hill Road to the south, surrounded by neighbouring buildings and plots.
Figure 26: Former West Hill Road Reservoir

HS20: Former West Hill Road Reservoir Comment View map HS20 - Former West Hill Road Reservoir

Use: Residential

SHELAA Reference: HL151

Minimum Indicative Capacity (net additional dwellings): 32

Site Area (gross): 0.21

Proposals for Development on this site should:

  1. Provide 25% affordable housing requirement in line with Policy SP2.
  2. Be informed by agreed land stability and geotechnical reports covering the temporary, intermediate and permanent condition of the site, taking into account all dead and imposed loads.
  3. Include a maintenance and management plan for any new, retained or improved land stability mitigation measures to ensure they will be safe for their intended lifetime.
  4. Retain and enhance or reprovide the bus stop to the South of the site.
  5. Avoids unacceptable harm or loss to the significance and setting of the Grosvenor Gardens Conservation Area.
  6. Include walking and cycling links to ensure local connectivity to key transport hubs including West St Leonards Station and National Cycle Route 2.
  7. Ensure vehicular access to the site is attained from West Hill Road and meets appropriate highways standards.
  8. Assess the ecological impact of the proposed development.

Policy HS21: Land East of Rock Lane Comment View map HS21 - land east of Rock Lane

6.121Land East of Rock Lane is a 1.72ha site that straddles the Hastings – Rother administrative boundary. Approx. 0.72ha is within Hastings. The site is a part brownfield site with an existing access road and areas of dense vegetation.

6.122The site shares a south-eastern boundary with site HS13, however a sharp difference in levels and an established drainage ditch and tree belt prevent the two sites from sharing significant transport infrastructure. However, there is potential for a pedestrian and cycle link connecting both sites to provide access to local schools, sports facilities and services in the vicinity of Rye Road.

6.123The site is within the High Weald National Landscape and therefore a sensitive form of development is required in line with Local Plan policies.

6.124The site slopes north south and an appropriate assessment of land stability should be provided. Proposals should seek to incorporate existing surface water management measures such as the drainage channels to the north and east of the site into any proposed Sustainable Drainage Systems (SuDS).

6.125Due to the overall area of the site, a Flood Risk Assessment will be required.

6.126Vehicle access to the site must be from Rock Lane in neighbouring Rother District, and any proposal should be accompanied by a Transport Report, including sustainable and multimodal transport options.

A detailed map showing a site plan with boundary lines marked in red, black, and blue, adjacent to residential and open areas. The site labelled HS13 is shaded in pink, with building outlines and property divisions. North is indicated at the top left corner.
Figure 27: Land East of Rock Lane. See Figure 49 for map key.

Policy HS21: Land East of Rock Lane Comment View map HS21 - land east of Rock Lane

Use: Residential

SHELAA Reference: HL153

Minimum Density Range: 30 - 45 dwellings per hectare

Minimum Indicative Capacity (net additional dwellings): 22 - 32

Site Area (gross): 0.72ha (1.72ha total)

Proposals for Development on this site should:

  1. Provide 25% affordable housing requirement in line with Policy SP2;
  2. Be informed by agreed land stability and geotechnical reports;
  3. Allow for a comprehensive scheme that incorporates the adjoining land within the Rother District Council administrative area;
  4. Incorporate foot and cycle path connectivity to Winchelsea Lane;
  5. Ensure vehicular access to the site meets appropriate highways standards;
  6. Be supported by a Flood Risk Assessment and detailed Drainage Strategy;
  7. Assess the ecological impact of the proposed development, including through an Arboriculture Plan that demonstrates how existing trees on site will be integrated into the development, or how compensation will be made for their loss.

Policy HS23: Land East of Beaney’s Lane, The Ridge Comment View map HS23 - Land East of Beaneys Lane, The Ridge

6.127Land East of Beaneys Lane is a 7.60ha site that straddles the Hastings – Rother administrative boundary. Approx. 0.40ha is within Hastings.

6.128The site is within the High Weald National Landscape and therefore a sensitive form of development is required in line with Local Plan policies.

6.129Although the Hastings’ portion is relatively flat, the portion of the site that sits within Rother District undulates and then slopes steeply to the north within the northernmost area. Proposals should be supported by an appropriate land stability report for both the temporary (during construction) and permanent (occupation) condition of the site that includes mitigations where appropriate.

6.130Due to the overall area of the site, a Flood Risk Assessment will be required taking into account both the site itself and the potential for impacts downstream. The site includes two areas of watercourse and proposals should seek to incorporate suitable SuDS measures.

6.131There are TPOs at the southern boundary of the site, which should be retained as part of any proposed scheme.

6.132Vehicle access to the site must be from The Ridge, and any proposal should be accompanied by a Transport Report, including sustainable and multimodal transport options.

Detailed map showing a residential area with planned development boundaries marked in red and black, featuring surrounding wooded areas, roads, and specific land plots.
Figure 28: Land East of Beaney's Lane. See Figure 49 for map key.

HS23: Land East of Beaney’s Lane, The Ridge Comment View map HS23 - Land East of Beaneys Lane, The Ridge

Use: Residential

SHELAA Reference: HL144b

Minimum Density Range: 45 - 55 dwellings per hectare

Minimum Indicative Capacity (net additional dwellings): 18 - 22

Site Area (gross): 0.40ha (7.60ha total)

Proposals for Development on this site should:

  1. Provide 40% affordable housing requirement in line with Policy SP2;
  2. Be informed by agreed land stability and geotechnical reports for both the temporary and permanent condition of the site;
  3. Allow for a comprehensive scheme that incorporates the adjoining land within the Rother District Council administrative area;
  4. Incorporate opportunities for active and multimodal travel;
  5. Ensure vehicular access to the site meets appropriate highways standards.
  6. Be supported by a Flood Risk Assessment and detailed Drainage Strategy.
  7. Be informed by a landscape sensitivity assessment to determine an appropriate layout, form and detailed design to ensure the conservation and enhancement of the landscape and character of the High Weald National Landscape.
  8. Be informed by ecological and hydrological survey work which demonstrates development will have no adverse impact on the integrity of the Maplehurst Wood SSSI;
  9. Assess the ecological impact of the proposed development, including through an Arboriculture Plan that demonstrates how existing trees on site will be integrated into the development, or how compensation will be made for their loss.

Policy HS24: Land at Graystone Lane Comment View map HS24 - Land at Graystone Lane

6.133Land at Graystone Lane is a 0.46ha site located close to Ore Local Centre. The site sits adjacent to a public green space in the Ore Valley known as Speckled Wood.

6.134The site is in an overgrown condition and Japanese Knotweed is present within the site. There is the potential for some contamination due to nearby industrial processes and the historic uses of the site.

6.135The site itself gradually slopes towards the north before dramatically falling away at the northern boundary, which is bound by an earthen bank. Additionally, the site is bound by a large retaining structure to the south which should be incorporated appropriately into any scheme. The high retaining wall means that the amenity of future occupants must be considered in any potential scheme; it must be demonstrated that sufficient daylight can enter all the dwellings that are proposed on site.

6.136To protect the setting of Speckled Wood and the amenity of occupiers, organic screening should be provided to the north and east of the site in order that the woodland setting is preserved.

6.137Due to the presence of retaining structures, the potential for artificial ground, and the overall character of the area, the site will require a full and detailed land stability assessment covering the temporary (during site preparation and construction) and permanent (post development) condition of the site.

6.138Proposals will need to consider and be informed by the need to resist ground movement and deformations during all project phases in order to protect the integrity of Speckled Wood, the Ore Stream valley, and the unadopted highway to the south. It is recommended that ground investigations also take into account drainage design and any potential for contamination.

6.139Special attention should be paid to surface water management measures during all phases of development to prevent contamination of the Ore Stream, including through silting.

6.140Biodiversity net gain measures for this site should include and prioritise a plan for the remediation of Japanese Knotweed. Knotweed remediation must be complete prior to commencement. All biodiversity net gain measures and any compensatory tree or vegetation planting to be delivered offsite must be delivered within Speckled Wood, and early engagement with the land management body should be undertaken early to agree a remediation and planting strategy within Speckled Wood. Offsite biodiversity net gain plans should prioritise the remediation of offsite knotweed and other invasive species within Speckled Wood where viable and will be legally secured for a minimum of 30 years.

6.141Relevant ecological assessments will be required, including recommendations for any necessary translocation, habitat creation or restoration within the site. The Speckled Wood Local Green Space and Ore Stream Valley and other areas of wildlife sensitivity must be specifically referenced in any ecological assessment and the site itself should be thoroughly surveyed to identify constraints.

6.142Access options to the site are limited, and any proposal should be accompanied by a Transport Report, including sustainable and multimodal transport options.

6.143Contributions will be sought to establish a play space within the Speckled Wood (Ore) Village Green, as specified by the council.

Outline of a property or land plot marked in red, situated between Old London Road and an internal road, with surrounding residential buildings and streets.
Figure 29: Land at Graystone Lane

HS24: Land at Graystone Lane Comment View map HS24 - Land at Graystone Lane

Use: Residential

SHELAA Reference: HL57

Minimum Density Range: 45 - 55 dwellings per hectare

Minimum Indicative Capacity (net additional dwellings): 25 - 41

Site Area (gross): 0.46ha

Proposals for Development on this site should:

  1. Provide 40% affordable housing requirement in line with Policy SP2;
  2. Be informed by agreed land stability and geotechnical reports covering the temporary and permanent condition of the site, taking into account:
    1. all dead and imposed loads, and;
    2. the need to resist ground movement and deformation in adjacent Speckled Wood and the Ore Stream valley, and;
    3. the need to protect the integrity of adjacent sites, including properties at Old London Road and Solle Mews.
  3. Include a maintenance and management plan for any new, retained or improved land stability mitigation measures to ensure they will be safe for their intended lifetime;
  4. Incorporate agreed measures to control and manage the flow of surface water and protect water quality and capacity within the Ore Stream during both the temporary and permanent phases of development;
  5. Incorporate organic boundary screening to the north and east of the site, and continue to safeguard the amenity of development to the south and west;
  6. Assess the ecological impact of the proposal, taking into account site specific constraints and proposing suitable alternatives, including making provision for the eradication of Japanese Knotweed. The assessment must make specific reference to the presence of the adjacent Speckled Wood Local Greenspace and Ore Stream Valley, the results of site surveys of HS24 itself, and to other nearby areas of wildlife sensitivity;
  7. Ensure that biodiversity net gain measures, and any compensatory planting schemes align to the following hierarchy:
    1. Within the site;
    2. Within Speckled Wood Local Green Space.
  8. Ensure vehicular access to the site meets appropriate highways standards.
  9. Include walking and cycling links to ensure local connectivity to key transport hubs including Ore Railway Station, and to Speckled Wood Local Green Space.
  10. Make a financial contribution to establish a play space at Speckled Wood (Ore) Village Green.

Policy HSS2: 309-311 Harold Road Comment View map HSS2 - 309-311 Harold Road

6.144309-311 Harold Road is a smaller brownfield site in Clive Vale. The site was part demolished in the 2020’s and includes a terrace of structures requiring demolition and an area of hardstanding.

6.145The site is bound by retaining structures. There is a mix of levels within the site. The amenity of future occupants must be considered in any potential scheme; it must be demonstrated that sufficient daylight can enter all the dwellings that are proposed on site and that the amenity of neighbouring dwellings is not compromised.

6.146Due to the former use of the site as and industrial unit, there is the potential for contamination to be present within the site.

6.147Due to the presence of retaining structures and the general sloping nature of the site and the surrounding area, the site will require a full and detailed land stability assessment covering the temporary (during site preparation and construction) and permanent (post development) condition of the site.

6.148Proposals will need to consider and be informed by the need to resist ground movement and deformations during all project phases in order to protect the integrity of retaining structures supporting properties on Athelstan Road to the north west and the adjacent properties on Harold Road. It is recommended that ground investigations also take into account drainage design and any potential for contamination.

6.149Access options to the site are limited, and any proposal should be accompanied by a Transport Report, including sustainable and multimodal transport options.

6.150Relevant ecological assessments will be required, including recommendations for any necessary translocation, habitat creation or restoration within the site.

Outline of a property in red on a detailed map, bordered by Athleston Road and Harold Road, with neighbouring property boundaries shown.
Figure 30: 309-311 Harold Road

HSS2: 309-311 Harold Road Comment View map HSS2 - 309-311 Harold Road

Use: Residential

SHELAA Reference: HL45

Minimum Indicative Capacity (net additional dwellings): 7

Site Area (gross): 0.08

Proposals for Development on this site should:

  1. Provide 25% affordable housing requirement in line with Policy SP2.
  2. Be informed by agreed land stability and geotechnical reports covering the temporary and permanent condition of the site, taking into account:
    1. all dead and imposed loads, and;
    2. the need to protect the integrity of all adjacent properties.
  3. Include a maintenance and management plan for any new, retained or improved land stability mitigation measures to ensure they will be safe for their intended lifetime.
  4. Include walking and cycling links to ensure local connectivity to key transport hubs including Hastings Railways Station and National Cycle Route 2.
  5. Ensure vehicular access to the site meets appropriate highways standards.
  6. Assess the ecological impact of the proposed development.

HSS3: Land adjacent 142 Bexhill Road Comment View map HSS3 - Land adjacent 142 Bexhill Road

6.151Land adjacent 142 Bexhill Road is a sloping site to the west of the borough close to the Combe Valley Countryside Park and South Saxons Local Wildlife Site.

6.152Although the majority of the site is in Flood Zone 1, the southern portion is in Flood Zone 3b, and climate change allowances indicate that the whole site has the potential to be in a higher risk flood zone by 2070 – 2125. Proposals will need to be accompanied by a detailed site-specific Flood Risk Assessment taking into account the effects of climate change to demonstrate that they will not be at risk of flooding either now or in the future, nor increase the risk of flooding elsewhere.

6.153The proposed layout should take into account the need for any onsite flood mitigations as recommended by the Flood Risk Assessment, including SuDS and include a maintenance and management plan for the lifetime of any flood mitigation measures adopted, supported or introduced. There may also be the need to identify an alternative access route to the site to ensure that a safe access and exit route can be maintained as part of any agreed emergency plan.

6.154The site is in close proximity to the Combe Valley Countryside Park, South Saxons Local Wildlife Site and Combe Haven River. These designations must be specifically referenced in any Ecological Constraints and Opportunities Plan (ECOP), and the site itself should be thoroughly surveyed to identify constraints. Any development proposal must seek to avoid or minimise impact on these areas during both the construction and occupation phases of the development.

6.155The capacity potential of this site indicates that a Transport Report will be required. Further advice on transport matters is available from East Sussex County Council.

Add alt text here
Figure 31: Land adjacent 142 Bexhill Road

HSS3: Land adjacent 142 Bexhill Road Comment View map HSS3 - Land adjacent 142 Bexhill Road

Use: Residential

SHELAA Reference: HL73

Minimum Indicative Capacity (net additional dwellings): 6

Site Area (gross): 0.3

Proposals for Development on this site should:

  1. Provide 25% affordable housing requirement in line with Policy SP2.
  2. Include an Ecological Constraints and Opportunities Plan (ECOP) and incorporate appropriate conservation and mitigation measures as recommended by the ECOP. The ECOP must make specific reference to the presence of the nearby Combe Valley Countryside Park, South Saxons Local Wildlife Site and Combe Haven River and the results of site surveys of HSS3 itself.
  3. Include a Flood Risk Assessment taking into account all sources of flooding and include a maintenance and management plan for any new, retained or improved flood mitigation or adaptation measures to ensure they will be safe for their intended lifetime, including those related to site specific SuDS.
  4. Ensure safe access and exit from the site in the event of flooding.
  5. Include walking and cycling links to ensure local connectivity to key transport infrastructure including National Cycle Route 2.
  6. Have discharge rates agreed with the Pevensey and Cuckmere Water Level Management Board (PCWLMB) prior to granting of permission.

HSS5: Land at Chiltern Drive Comment View map HSS5 - land at Chiltern Drive

6.156Land at Chiltern Drive is a smaller site at the corner of Chiltern Drive and Southdown Avenue. It is both steeply sloping and has a mix of levels within the site. The site includes a terrace of pent roof bungalows to the south that should either be demolished or incorporated into any site proposal.

6.157The site is crossed by overhead distribution lines linking the Ridge Primary Electricity Substation and the Hastings Main Electricity Substation on Ore Valley Road. Any scheme should either provide the necessary clearances for the powerlines or consider relocating them underground to remove height and working restrictions imposed by their presence. Appropriate easement to maintain the assets should be agreed with the electricity board.

6.158Due to the site topography and the topographical character of the surrounding area, the site will require a full and detailed land stability assessment covering the temporary (during site preparation and construction) and permanent (post development) condition of the site.

6.159Proposals will need to consider and be informed by the need to resist ground movement and deformations during all project phases in order to protect the integrity of nearby dwellings and those already present onsite if retained. It is recommended that ground investigations also take into account drainage design and any potential for contamination.

6.160Relevant ecological assessments will be required, including recommendations for any necessary translocation, habitat creation or restoration within the site.

The map shows an outlined plot of land shaded in red, bordered by Southdown Avenue, Chiltern Drive, and Upper Broomgrove Road, with nearby residential structures and streets.
Figure 32: Land at Chiltern Drive

HSS5: Land at Chiltern Drive Comment View map HSS5 - land at Chiltern Drive

Use: Residential

SHELAA Reference: HL100

Minimum Indicative Capacity (net additional dwellings): 13

Site Area (gross): 0.24

Proposals for Development on this site should:

  1. Provide 25% affordable housing requirement in line with Policy SP2.
  2. Be informed by agreed land stability and geotechnical reports covering the temporary and permanent condition of the site, taking into account:
    1. all dead and imposed loads, and;
    2. the need to protect the integrity of adjacent buildings.
  3. Include a maintenance and management plan for any new, retained or improved land stability mitigation measures to ensure they will be safe for their intended lifetime.
  4. Include walking and cycling links to ensure local connectivity to key transport hubs including Ore Railway Station.
  5. Ensure vehicular access to the site meets appropriate highways standards.
  6. Assess the ecological impact of the proposed development, including through an Arboriculture Plan that demonstrates how existing trees on site will be integrated into the development, or how compensation will be made for their loss.

GT1: Land South of Crowhurst Road Comment View map GT1 - land South of Crowhurst Road

6.161The site is located at the junction of B2092 Crowhurst Road and A2690 Queensway. Queensway has connections to the wider road network, including the A2690 Combe Valley Way (leading to the A259 to Brighton) and the A21 (leading to London and the A259 to Ashford) Some access improvements are required. The site has sufficient space to comfortably accommodate at minimum no.2 pitches, associated berths and ancillary buildings.

6.162The site has a Local Wildlife Site and Ancient Woodland nearby. These areas must be specifically referenced in any Ecological Constraints and Opportunities Plan (ECOP), and the lighting plan must seek to minimise light spill to these and other areas of wildlife sensitivity. An arboriculture plan must also be provided to set out how existing trees will be either integrated into the proposal, or their loss will be compensated for. The ECOP, lighting plan and arboriculture plan can all form part of the same document if appropriate.

6.163The site has an established tree belt at the perimeter, and any scheme should seek to preserve and enhance this both for the ecological value and for the amenity benefits it can provide in terms of amenity by screening the site from the noise, emissions and lack of privacy that could result from a more open boundary with Queensway. Additionally, retention of boundary landscaping to the west of the site will also provide a buffer that can help mitigate any noise and disturbance from the nearby railway line.

6.164The site does not currently benefit from a sewerage connection, or suitable access to the highway. A sewer connection will be required for any utility block and must also be able to support the safe and easy disposal of any cassette waste holding tank contents from vehicles. Access to the site must be improved in line with the advice of the highway authority to provide safe access to and from the site for both residents and servicing.

6.165The site has minimal risk from surface water flooding. However, for the amenity of residents an appropriate SuDS system should be incorporated into any proposal. Such schemes should seek to preserve water quality by including any necessary mitigation measures.

Outline of a triangular plot of land shaded in red, located at the intersection of Crowthurst Road and Queensway, with surrounding roads and pathways depicted in black lines.
Figure 33: Land South of Crowhurst Road

GT1: Land South of Crowhurst Road Comment View map GT1 - land South of Crowhurst Road

Use: Permanent Site for Gypsies and Travellers

Minimum Indicative Capacity (pitches): 2

Sites Area: 0.17ha

Proposals for Development on this site should:

  1. include an Ecological Constraints and Opportunities Plan (ECOP) and incorporate appropriate conservation and mitigation measures as recommended by the ECOP. The ECOP must make specific reference to the presence of the nearby Ancient Woodland and Local Wildlife Site;
  2. include a lighting plan to minimise light spill to nearby areas of wildlife sensitivity, including nearby Ancient Woodland and Local Wildlife Site;
  3. provide an Arboriculture Plan that demonstrates how existing trees on site will be integrated into the development, or how compensation will be made for their loss;
  4. retain and enhance existing landscaping to maintain an amenity and pollution buffer with Queensway and the nearby railway;
  5. include improvements to the access at the junction of Crowhurst Road and the Queensway as advised by the Local Highways Authority (East Sussex County Council).
  6. provide a connection to the sewerage system at the nearest point of adequate capacity, as advised by Southern Water and ensure future access to the existing sewerage and water supply infrastructure for maintenance and upsizing purposes.
  7. include an appropriate drainage plan to manage surface water and preserve water quality.

Part two – Employment Allocations Comment

6.166To meet the future additional provision for employment space in Hastings, the council is guided by the employment evidence studies listed below:

6.167

  • Housing and Economic Development Needs Assessment Update 2023
  • Strategic Housing and Employment Land Availability Assessment 2023
  • East Sussex Economic Prosperity Strategy 2024
  • Room to Grow 2
  • East Sussex Employment Land Pipeline Study 2023
  • Land and Premises Supply Study: Market Assessment for East Sussex 2020
  • East Sussex Economic Recovery Plan 2020 (Updated February 2022)

6.168A policy approach is recommended by the NPPF and Planning Practice Guidance whereby Councils positively plan to enhance the local economy and encourage jobs growth through the allocation of sufficient land to meet existing and future needs.

6.169Where site allocations identified within this plan are at risk of flooding, the council will ensure that sites are sequentially tested in line with National Planning Policy and Practice Guidance, and that the exception test is applied where necessary. This will take place following the Regulation 18 consultation.

6.170The Local Plan evidence identifies a need for 61,478sqm business floorspace by 2041. Approximately 41,342sqm of floorspace will be delivered through employment allocations totalling 18.31 ha located within the Strategic Industrial Employment Areas (SIEAs). Approximately 29,878sqm will be delivered on allocated sites within SIEA1 (Queensway Corridor) and approximately 11,464sqm will be delivered on allocated sites within SEIA2 (Ivyhouse Lane).

6.171These allocations are consistent with SIEAs being assessed as suitable locations to meet the majority of Hastings’ future employment needs. This is recognised in Policy SP3 which seeks to protect the integrity and function of SIEAs as key locations for future employment growth. Outside of SIEA1 and 2 there are no proposed site allocations within other SIEAs and it is anticipated that over the lifetime of the plan development in these locations will come forward as part of ongoing estate regeneration as older or lower quality stock is replaced by more modern employment floorspace that better reflects modern sectors and their processes and improves their layout and form to deliver a higher density within each SIEA as a whole.

6.172The majority of the allocated employment sites were previously identified as allocations in the Hastings Development Management Plan 2015. These sites have been reassessed in detail by the council and remain suitable, achievable and deliverable for business (office or industrial) use. With specific regard to deliverability, it is noted that the recent provision of strategic road infrastructure, which was not present upon adoption of the previous Local Plan, has materially increased the opportunity and attractiveness to the market of these sites.

6.173Local Industrial Employment Areas (LIEA) provide a unique local function that is often sector specific and will be supported and protected through policy to where proposals are submitted that will enhance their existing function. In addition to the allocated employment sites set out below, the Plan also provides support for the enhancement of existing Strategic and Local Industrial Employment Areas and other sites currently or last in employment, subject to the criteria set out in Policy SP3 and E1 being met. There is also potential for small pockets of employment land to be delivered on the mixed-use housing allocation sites provided this will not compromise residential amenity.

6.174With the potential that further land may come forward, potentially aligned with the Regeneration Area sites, flexibility in supply has been established. Consequently, the council will undertake robust monitoring of employment land supply and losses on an annual basis to ensure sufficient land is available to meet identified needs.

Policy EA1: Employment Sites and Allocations Comment SIEA1 - Queensway Corridor (1) SIEA2 - Ivyhouse Lane (2) SIEA3 - Ponswood (3) SIEA4 - Bulverhythe Estate (4) SIEA5 - York Road (5) ES1 - Queensway North, Queensway (6) ES2 - Site PX Churchfields Estate (7) ES3 - NX2 Sidney Little Road, Churchfields Estate (8) ES4 - NX3 Sidney Little Road, Churchfields Estate (9) ES5 - Adjacent Unit C, 1-8 Brook Way (10) ES6 - UK Power Networks, Hastings Main, The Ridge/ Ivyhouse Lane (11) ES7 - Ivyhouse Lane, Northern Extension (12) ES8 - Land at the junction of The Ridge West and Queensway (13) ES9 - land at Whitworth Road (14) ES10 - Marline Fields, Enviro21 Business Park, Land West of Queensway (15)

Proposals for new or enhanced employment uses should take account of the site selection criteria and design specifications set out in Policy SP3.

Proposals should, where appropriate, address the following material considerations within proposals for development. For specific requirements applicants should refer to the council’s validation checklist:

  • Design and character
  • Heritage impacts
  • Residential amenity
  • Transport
  • Flood risk
  • Contamination, nuisance and hazards
  • Land stability
  • Ecology and Green and Blue infrastructure
  • Biodiversity Net Gain
  • Arboriculture and landscape
  • Waste and recycling
  • Contributions and legal agreements

Where relevant, proposals should take account of underground water infrastructure, high pressure gas mains and overhead power transmission and distribution lines in the design of the layout of the site. Easements may be required, which will affect the site layout or require diversion, and these should be clear of all proposed buildings and tree planting.

The following sites are allocated, as shown on the Policies Map, for employment use to meet the employment land requirement set out in Policy SP1.

The sites listed in the table below (and as shown on the Policies Map) are allocated for employment use to deliver the employment floorspace requirement set out in Policy SP3. Design briefs can be found within site specific policies.

Approach to Industrial Employment Areas  SIEA1 - Queensway Corridor (1) SIEA2 - Ivyhouse Lane (2) SIEA3 - Ponswood (3) SIEA4 - Bulverhythe Estate (4) SIEA5 - York Road (5)

Table 10: List of SIEA/ LIEA Comment

Industrial Location

Designation

Policy approach

Queensway North and South

SIEA1

Safeguard, enhance and intensify.

Ridge West

SIEA1

Safeguard, enhance and intensify.

Castleham

SIEA1

Safeguard, enhance and intensify.

Conqueror

SIEA1

Safeguard, enhance and intensify.

Churchfields

SIEA1

Safeguard, enhance and intensify.

Ivyhouse and Rock Lane (incorporating Hayward Way)

SIEA2

Safeguard, enhance and intensify.

Ponswood

SIEA3

Safeguard, enhance and intensify.

Bulverhythe East

SIEA 4

Safeguard, enhance and intensify.

Bulverhythe West

SIEA 4

Safeguard, enhance and intensify.

York Road Transport Hub

SIEA 5

Safeguard, enhance and intensify.

Roebuck Estate

LIEA1

Safeguard and enhance.

Fishmarket

LIEA2

Safeguard and enhance.

Map showing two outlined areas labeled 'LEA1' in a residential neighbourhood and 'LEA2' near a harbour with a lighthouse and a boat station.
Figure 34: LIEA Locations

Approach to allocated sites ES1 - Queensway North, Queensway (1) ES2 - Site PX Churchfields Estate (2) ES3 - NX2 Sidney Little Road, Churchfields Estate (3) ES4 - NX3 Sidney Little Road, Churchfields Estate (4) ES5 - Adjacent Unit C, 1-8 Brook Way (5) ES6 - UK Power Networks, Hastings Main, The Ridge/ Ivyhouse Lane (6) ES7 - Ivyhouse Lane, Northern Extension (7) ES8 - Land at the junction of The Ridge West and Queensway (8) ES9 - land at Whitworth Road (9) ES10 - Marline Fields, Enviro21 Business Park, Land West of Queensway (10)

Hastings DRAFT Policies Map Local Plan Preferred Options (Regulation 18) February 2026 Consultation

Table 11: Proposed allocations within SIEA1 Comment

Site Ref.

Site Address

Site Area (ha)

Use

Indicative Capacity (sqm floorspace)

Proposals should comply with these additional site-specific requirements:

SIEA1 – Queensway Corridor

ES1

Queensway North, Queensway

4.68

Industrial

9,700

See site Policy ES1

ES2

PX, Churchfields

0.58

Industrial

500

See site Policy ES2

ES3

NX2 Sidney Little Road, Churchfields

0.32

Industrial

770

See site Policy ES3

ES4

NX3 Sidney Little Road, Churchfields

0.17

Industrial

920

See site Policy ES4

ES8

Land at junction of The Ridge West and Queensway

2.95

Industrial

6,000

See site Policy ES8

ES9

Land in Whitworth Road

1.66

Industrial

6,000

See site Policy ES9

ES10

Marline Fields, Enviro21 Business Park, Land West of Queensway

1.38

Industrial

5,600

See site Policy ES10

Table 12: Proposed allocations within SIEA2  Comment

SIEA2 – Ivyhouse Lane

ES5

Adjacent Unit C, 1-8 Brook Way

0.16

Industrial

500

See site Policy ES5

ES6

UK Power Networks, Hastings Main, The Ridge/ Ivyhouse Lane

1.57

Industrial

1,900

See site Policy ES6

ES7

Ivyhouse Lane, Northern Extension

5.42

Industrial

7,000

See site Policy ES7

Policy ES1: Queensway North, Queensway Comment View map ES1 - Queensway North, Queensway

6.175The site occupies a prominent position in SIEA1 and is accessed from A2690 Queensway with strong links to both the A259 (Brighton-Ashford) and the A21 (London). The site is capable of delivering a range of layouts, including a single larger size unit or a broader mix of small-medium size units. The site also has strong potential to accommodate low carbon technologies as part of any development, including solar PV.

6.176The site is adjacent to a Site of Special Scientific Interest and Local Nature Reserve, with a Local Wildlife Site and Ancient Woodland nearby. Due to the site sitting within the Impact Risk Zone (IRZ) for the Marline Valley Woods SSSI, Natural England should be consulted at the earliest possible stage.

6.177The site itself is undulating with areas of dense scrub and mature trees. These designated areas must be specifically referenced in any Ecological Constraints and Opportunities Plan (ECOP), and the site itself should be thoroughly surveyed to identify constraints. Any development proposal must seek to avoid or minimise impact on these areas during both the construction and occupation phases of the development, including the hydrological effects of drainage into the Marline Valley Stream. The introduction of pollutants to the highly vulnerable groundwater aquifer within the site should likewise be avoided during both phases and cumulative impacts of development within the IRZ should be considered. Development proposals should seek to avoid breaching the underlying sandstone layer.

6.178Due to the topography of the site, investigations of ground behaviour and land stability should take into account the hydrology and hydrogeology of the site, and a detailed stability report will be required. Proposals for SuDS that include attenuation may be appropriate subject to hydrological, hydrogeological and ground behaviour assessments.

6.179It is anticipated that the site will feature an ecology buffer zone to the North West of the site closest to the SSSI, and opportunities to deliver green and blue infrastructure and net gain activities in this location should be explored.

6.180A lighting plan will be required due to the close proximity to areas of wildlife sensitivity and must demonstrate how steps have been taken to reduce light spill that may impact on these areas. An arboriculture plan must also be provided to set out how existing trees will be either integrated into the proposal, or their loss will be compensated for. The site has a natural tree boundary that should be retained and enhanced where possible, particularly to the north of the site where it borders a holiday park to safeguard the amenity of occupiers. The ECOP, lighting plan and arboriculture plan can all form part of the same document if appropriate.

6.181It is anticipated that the site will be served by a single looped spine road accessed directly off Queensway - with a simple main ‘T’ junction and a secondary ‘emergency only’ junction. Limited improvements to Queensway itself may be required. A pedestrian connection to the adjoining chalet site or the residential area should be considered, in consultation with residents. There may also be opportunities to improve connections to nearby Rights of Way. Development proposals will need to show consideration of the transport impact along The Ridge.

6.182Improvements to better support access to the site through public and sustainable transport may be required. Further advice on transport matters is available from East Sussex County Council.

6.183Where possible, proposals should seek to make connections to the area of open space bordering High Beech Close to enhance the amenity value of the finished development and deliver policy compliant green infrastructure within the site.

Outline of a plot of land with irregular shape, marked in red on a map, adjacent to roads labelled Queensway and Castleham Road, near a residential area named Four Acre Wood.
Figure 35: Queensway North, Queensway

Policy ES1: Queensway North, Queensway Comment View map ES1 - Queensway North, Queensway

Use: Employment

Minimum Indicative Capacity (minimum floorspace): 9,700sqm

Site area: 4.70ha

Proposals for development on this site should:

  1. be designed in a way that contributes positively to the intensification of SIEA1;
     
  2. include an Ecological Constraints and Opportunities Plan (ECOP) and incorporate appropriate conservation and mitigation measures as recommended by the ECOP. The ECOP must make specific reference to the presence of the adjacent Site of Special Scientific Interest (SSSI), the results of site surveys of ES1 itself, and to other nearby areas of wildlife sensitivity.
     
  3. include a lighting plan to minimise light spill to nearby areas of wildlife sensitivity, including nearby SSSI, Ancient Woodland and Local Wildlife Site;
     
  4. include boundary landscaping to act as a buffer to the existing holiday park to the north;
     
  5. provide an Arboriculture Plan that demonstrates how existing trees on site will be integrated into the development, including the existing tree belts running through the centre of the site, and at the western boundary;
     
  6. ensure drainage schemes, including SuDS, are appropriate for the site and take into account the impact on the Marline Valley Stream, the SSSI and groundwater pollution vulnerability. Hydrological and hydrogeological monitoring should inform the drainage plans for this site;
     
  7. include traffic access improvements onto and off Queensway (and an additional emergency access);
     
  8. include appropriate active and sustainable travel infrastructure;
     
  9. be supported by a Transport Assessment and Travel Plan. The Transport Assessment must take account of the site's proximity to The Ridge. Proposals must also indicate how the conclusions and recommendations of the Assessment have been incorporated within the development.
     
  10. investigate the impact of ground behaviour and land stability and incorporate remediation or mitigation measures as appropriate;
     
  11. investigate the potential for contamination within or effecting the site, and incorporate remediation or mitigation measures as appropriate;
     
  12. be designed to avoid or, where this is not possible, mitigate the impact of potential pollution and environmental hazards to occupiers, the environment, and neighbours;
  13. investigate the potential to make navigable connections to the area of open space adjacent to the site;
     
  14. provide policy compliant green and blue infrastructure within the site.

Policy ES2: Site PX, Churchfields Estate Comment View map ES2 - Site PX Churchfields Estate

6.184The site sits within SIEA1, and is well connected A2690 Queensway with strong links to both the A259 (Brighton-Ashford) and the A21 (London). A modern, low-carbon business centre has been developed on site QX to the North of this location and the site offers potential for a similar style of development. The site also has strong potential to accommodate low carbon technologies as part of any development, including solar PV.

6.185The site is adjacent to an area of Ancient Woodland to the East, and a Local Wildlife Site sits nearby to the South East. The site itself is sloping with areas of dense scrub. The Ancient Woodland must be specifically referenced in any Ecological Constraints and Opportunities Plan (ECOP), and the site itself should be thoroughly surveyed to identify constraints. Due to the site sitting within the Impact Risk Zone (IRZ) for the Marline Valley Woods SSSI and Combe Haven SSSI, Natural England should be consulted at the earliest possible stage.

6.186Any development proposal must seek to avoid or minimise impact on these areas during both the construction and occupation phases of the development. The introduction of pollutants to the highly vulnerable groundwater aquifer within the site should likewise be avoided during both phases. Combining or complimenting ecological and SuDS measures with those already implemented through the development of site QX may be appropriate.

6.187The site slopes away steeply to the South and occupies a relatively high position within the valley. A fault line runs close to the Southeast corner of the site, with a watercourse close by. Due to these characteristics and the base geology, investigations of ground behaviour and land stability should take into account the hydrology and hydrogeology of the site, the strata and the potential for subterranean water conduits. A detailed stability report will be required and should inform any potential SuDS design for the site.

6.188A lighting plan will be required due to the close proximity to areas of wildlife sensitivity and must demonstrate how steps have been taken to reduce light spill that may impact on these areas. An arboriculture plan must also be provided to set out how existing trees will be either integrated into the proposal, or their loss will be compensated for. The site has a natural tree boundary to the south and east that should be retained and enhanced where possible. The ECOP, lighting plan and arboriculture plan can all form part of the same document if appropriate.

6.189Development proposals will need to show consideration of the transport impact along The Ridge, and a Transport Assessment and Travel Plan will be required. Improvements to better support access to the site through public and sustainable transport may be required. There are a number of potential site access routes, including opportunity to connect to an existing access route at site QX. The choice of access point should be justified. Further advice on transport matters is available from East Sussex County Council.

A map showing a plot of land outlined in red, with surrounding roads and buildings. The map includes a small water feature and a stream within the outlined area.
Figure 36: Site PX, Churchfields Estate

Policy ES2: Site PX, Churchfields Estate Comment View map ES2 - Site PX Churchfields Estate

Use: Employment

Minimum Indicative Capacity (minimum floorspace): 500sqm

Site area: 0.58ha

Proposals for development on this site should:

  1. be designed in a way that contributes positively to the intensification of SIEA1;
     
  2. include an Ecological Constraints and Opportunities Plan (ECOP) and incorporate appropriate conservation and mitigation measures as recommended by the ECOP. The ECOP must make specific reference to the presence of the adjacent Ancient Woodland the results of site surveys of ES2 itself, and to other nearby areas of wildlife sensitivity.
     
  3. include a lighting plan to minimise light spill to nearby areas of wildlife sensitivity, including adjacent Ancient Woodland and nearby Local Wildlife Site;
     
  4. include boundary landscaping appropriate to the setting and taking into account existing trees and vegetation;
     
  5. provide an Arboriculture Plan that demonstrates how existing trees on site will be integrated into the development, including the existing tree belts running through the centre of the site, and at the southern and eastern boundary;
     
  6. ensure drainage schemes, including SuDS, are appropriate for the site and take into account Impact Risk Zones, the strata, potential for subterranean water conduits and groundwater pollution vulnerability. Hydrological and hydrogeological monitoring should inform the drainage plans for this site;
     
  7. include appropriate active and sustainable travel infrastructure;
     
  8. be supported by a Transport Assessment and Travel Plan. The Transport Assessment must take account of the site's proximity to The Ridge. Proposals must also indicate how the conclusions and recommendations of the Assessment have been incorporated within the development;
     
  9. investigate the impact of ground behaviour and land stability and incorporate remediation or mitigation measures as appropriate;
     
  10. investigate the potential for contamination within or effecting the site, and incorporate remediation or mitigation measures as appropriate;
     
  11. be designed to avoid or, where this is not possible, mitigate the impact of potential pollution and environmental hazards to the environment, occupiers and neighbours;
     
  12. provide policy compliant green and blue infrastructure within the site;

Policy ES3: NX2, Sidney Little Road, Churchfields Estate Comment View map ES3 - NX2 Sidney Little Road, Churchfields Estate

6.190The site occupies a prominent position in SIEA1, and is well linked to the A2690 Queensway with strong links to both the A259 (Brighton-Ashford) and the A21 (London). It is one of a group of three small development plots. The first, NX1 immediately to the south, was developed as a row of small business units. The site is capable of delivering additional small units. The site also has strong potential to accommodate low carbon technologies as part of any development, including solar PV.

6.191The site is adjacent to an area of Ancient Woodland to the East, and a Local Wildlife Site sits nearby to the South East. The site itself is sloping with areas of dense scrub. The Ancient Woodland must be specifically referenced in any Ecological Constraints and Opportunities Plan (ECOP), and the site itself should be thoroughly surveyed to identify constraints. Any development proposal must seek to avoid or minimise impact on these areas during both the construction and occupation phases of the development. The introduction of pollutants to the highly vulnerable groundwater aquifer within the site should likewise be avoided during both phases.

6.192There is potential to create integrated ecological and surface water management interventions, including SuDS, with sites PX and NX3, building upon those already delivered through the development of site QX. Due to the site sitting within the Impact Risk Zone (IRZ) for the Marline Valley Woods SSSI and Combe Haven SSSI, Natural England should be consulted at the earliest possible stage.

6.193A lighting plan will be required due to the close proximity to areas of wildlife sensitivity and must demonstrate how steps have been taken to reduce light spill that may impact on these areas. An arboriculture plan must also be provided to set out how existing trees will be either integrated into the proposal, or their loss will be compensated for. The site has a natural tree boundary to the south and east that should be retained and enhanced where possible. The ECOP, lighting plan and arboriculture plan can all form part of the same document if appropriate.

6.194The site slopes to the South and includes some areas of undulation. A fault line runs through the Southwest portion of the site. The area of high groundwater vulnerability to pollution sits to the South of the fault. Due to these characteristics, investigations of ground behaviour and land stability should take into account the hydrology and hydrogeology of the site, the strata and the potential for subterranean water conduits. A detailed stability report will be required and should inform any potential SuDS design for the site.

6.195The existing access off Sidney Little Road is configured to serve both the existing units and those still to be built on this site, and on site NX3. Development proposals will need to show consideration of the transport impact along The Ridge, and a Transport Assessment and Travel Plan will be required. Improvements to better support access to the site through public and sustainable transport may be required. Further advice on transport matters is available from East Sussex County Council.

Outline of a land parcel marked with a red boundary line on a map, adjacent to Sidney Little Road and Churchwood Drive, with surrounding roads and some plotted structures.
Figure 37: NX2, Sidney Little Road, Churchfields Estate

Policy ES3: NX2, Sidney Little Road, Churchfields Estate Comment View map ES3 - NX2 Sidney Little Road, Churchfields Estate

Use: Employment

Minimum Indicative Capacity (minimum floorspace): 770sqm

Site area: 0.32ha

Proposals for development on this site should:

  1. be designed in a way that contributes positively to the intensification of SIEA1;
     
  2. include an Ecological Constraints and Opportunities Plan (ECOP) and incorporate appropriate conservation and mitigation measures as recommended by the ECOP. The ECOP must make specific reference to the presence of the adjacent Ancient Woodland, the results of site surveys of ES3 itself, and to other nearby areas of wildlife sensitivity.
     
  3. include a lighting plan to minimise light spill to nearby areas of wildlife sensitivity, including adjacent Ancient Woodland and nearby Local Wildlife Site;
     
  4. include boundary landscaping appropriate to the setting and taking into account existing trees and vegetation;
     
  5. provide an Arboriculture Plan that demonstrates how existing trees on site and at the southern and eastern boundary will be integrated into the development;
     
  6. ensure drainage schemes, including SuDS, are appropriate for the site and take into account Impact Risk Zones, the strata, potential for subterranean water conduits and groundwater pollution vulnerability. Hydrological and hydrogeological monitoring should inform the drainage plans for this site;
  7. include appropriate active and sustainable travel infrastructure;
     
  8. be supported by a Transport Assessment and Travel Plan. The Transport Assessment must take account of the site's proximity to The Ridge. Proposals must also indicate how the conclusions and recommendations of the Assessment have been incorporated within the development;
  9. investigate the impact of ground behaviour and land stability incorporate remediation or mitigation measures as appropriate;
     
  10. investigate the potential for contamination within or effecting the site, and incorporate remediation or mitigation measures as appropriate;
     
  11. be designed to avoid or, where this is not possible, mitigate the impact of potential pollution and environmental hazards to the environment, occupiers and neighbours;
     
  12. provide policy compliant green and blue infrastructure within the site.

Policy ES4: NX3, Sidney Little Road, Churchfields Estate Comment View map ES4 - NX3 Sidney Little Road, Churchfields Estate

6.196The site occupies a prominent position in SIEA1, and is well linked to the A2690 Queensway with strong links to both the A259 (Brighton-Ashford) and the A21 (London). It is one of a group of three small development plots. The first, NX1 immediately to the south, was developed as a row of small business units. This site is capable of delivering additional small units. The site also has strong potential to accommodate low carbon technologies as part of any development, including solar PV.

6.197The site is in close proximity to an area of Ancient Woodland to the East, and Local Wildlife Sites to the South East and South West. The site itself is sloping with areas of dense scrub. The and the site itself should be thoroughly surveyed as part of the Ecological Constraints and Opportunities Plan (ECOP), to identify constraints. Any development proposal must seek to avoid or minimise impact on these areas during both the construction and occupation phases of the development. The introduction of pollutants to the highly vulnerable groundwater aquifer to the South of the site should likewise be avoided during both phases.

6.198There is potential to create integrated ecological and surface water management interventions, including SuDS, with sites PX and NX2, building upon those already delivered through the development of site QX. Due to the site sitting within the Impact Risk Zone (IRZ) for the Marline Valley Woods SSSI and Combe Haven SSSI, Natural England should be consulted at the earliest possible stage.

6.199A lighting plan will be required due to the close proximity to areas of wildlife sensitivity and must demonstrate how steps have been taken to reduce light spill that may impact on these areas. An arboriculture plan must also be provided to set out how existing trees will be either integrated into the proposal, or their loss will be compensated for. The site has a natural tree boundary to the West that should be retained and enhanced where possible. The ECOP, lighting plan and arboriculture plan can all form part of the same document if appropriate.

6.200The site slopes to the South and undulates throughout. A fault line runs through the Southwest portion of the site. Due to these characteristics, investigations of ground behaviour and land stability should take into account the hydrology of the site, the strata and the potential for subterranean water conduits. A detailed stability report will be required and should inform any potential SuDS design for the site.

6.201The existing access off Sidney Little Road is configured to serve both the existing units and those still to be built on this site and on site NX2. Development proposals will need to show consideration of the transport impact along The Ridge, and a Transport Assessment and Travel Plan will be required. Improvements to better support access to the site through public and sustainable transport may be required. Further advice on transport matters is available from East Sussex County Council.

A plot outlined in red situated between Sidney Little Road and an open area, adjacent to a group of buildings and near Wainwright Close and Churchwood Drive.
Figure 38: NX3, Sidney Little Road, Churchfields Estate

Policy ES4: NX3, Sidney Little Road, Churchfields Estate Comment View map ES4 - NX3 Sidney Little Road, Churchfields Estate

Use: Employment

Minimum Indicative Capacity (minimum floorspace): 920sqm

Site area: 0.17ha

Proposals for development on this site should:

  1. be designed in a way that contributes positively to the intensification of SIEA1;
     
  2. include an Ecological Constraints and Opportunities Plan (ECOP) and incorporate appropriate conservation and mitigation measures as recommended by the ECOP. The ECOP must make specific reference to the presence of the adjacent Ancient Woodland, the results of site surveys of ES4 itself, and to other nearby areas of wildlife sensitivity.
     
  3. include a lighting plan to minimise light spill to nearby areas of wildlife sensitivity, including nearby Ancient Woodland and Local Wildlife Site;
     
  4. include boundary landscaping appropriate to the setting and taking into account existing trees and vegetation;
     
  5. provide an Arboriculture Plan that demonstrates how existing trees on site and at the western boundary will be integrated into the development;
     
  6. ensure drainage schemes, including SuDS, are appropriate for the site and take into account Impact Risk Zones, the strata, potential for subterranean water conduits and groundwater pollution vulnerability. Hydrological and hydrogeological monitoring should inform the drainage plans for this site;
     
  7. include appropriate active and sustainable travel infrastructure;
     
  8. be supported by a Transport Assessment and Travel Plan. The Transport Assessment must take account of the site's proximity to The Ridge. Proposals must also indicate how the conclusions and recommendations of the Assessment have been incorporated within the development;
     
  9. investigate the impact of ground behaviour and land stability incorporate remediation or mitigation measures as appropriate;
     
  10. investigate the potential for contamination within or effecting the site, and incorporate remediation or mitigation measures as appropriate;
     
  11. be designed to avoid or, where this is not possible, mitigate the impact of potential pollution and environmental hazards to the environment, occupiers and neighbours;
     
  12. provide policy compliant green and blue infrastructure within the site;

Policy ES5: Adjacent Unit C, 1-8 Brook Way Comment View map ES5 - Adjacent Unit C, 1-8 Brook Way

6.202The site occupies a prominent position in SIEA2, and is well linked to the B2093 The Ridge with strong links to both the A259 (Brighton-Ashford) and the A21 (London). It is a relatively small plot in a small depression within a larger sloping system. It is in close proximity to a number of taller units, with the topography of the land rising towards The Ridge to the South. The site is capable of delivering additional units that are sensitive to the setting of the Rock Lane – Ivyhouse Lane area and the adjacent National Landscape as a whole. The site also has strong potential to accommodate low carbon technologies as part of any development, including solar PV.

6.203The site is adjacent to the National Landscape, including the Cemetery and Crematorium which has wide reaching views across the NL. Regard should be had to the High Weald National Landscape Area of Outstanding Natural Beauty (AONB) Unit Management Plan and associated Technical Guidance. Although the site has been allocated to meet strategic employment needs, any development must take full account of the effect on its setting, and views of it from other parts of the National Landscape – in particular from the Rock Lane and Hastings Cemetery areas from where it is visible. A landscape impact assessment should inform the design of any scheme.

6.204Due to the site sitting within the Impact Risk Zones (IRZ) for Maplehurst Wood SSSI and Hastings Cliffs to Pett Beach SSSI, Natural England should be consulted at the earliest possible stage. Any development proposal must seek to avoid or minimise negative impact on designated areas of landscape or environmental importance during both the construction and occupation phases of the development.

6.205A lighting plan will be required due to the close proximity to the National Landscape and must demonstrate how steps have been taken to reduce light spill that may impact on this area. Additional guidance on lighting plans in this location is provided in the High Weald Unit’s Dark Skies Technical Advice Note.

6.206Southern Water infrastructure crosses this site, this should be taken into account in the design of any proposal. Care should be taken to prevent the introduction of pollutants to the surface water sewer either during or following construction, in line with Policy SC18 (Pollution and Hazards).

6.207Due to the topographical position of the site, investigations of ground behaviour and land stability should take into account the hydrology of the site, and a detailed stability report will be required.

6.208Development proposals will need to show consideration of the transport impact along The Ridge, and a Transport Assessment and Travel Plan will be required. Improvements to better support access to the site through public and sustainable transport may be required. Proposals should seek to enhance pedestrian and cycling infrastructure both to local residential areas and to existing links within the National Landscape that may support better connectivity to Rock Lane. This could potentially be delivered in combination with site ES7. Further advice on transport matters is available from East Sussex County Council.

Plot of land outlined in red, located near Ivy House Lane, with adjacent residential buildings and open fields.
Figure 39: Adjacent Unit C, 1-8 Brook Way

Policy ES5: Adjacent Unit C, 1-8 Brook Way Comment View map ES5 - Adjacent Unit C, 1-8 Brook Way

Use: Employment

Minimum Indicative Capacity (minimum floorspace): 500sqm

Site area: 0.16ha

Proposals for development on this site should:

  1. be designed in a way that contributes positively to the intensification of SIEA2;
     
  2. include landscape impact assessment, taking into account both its setting and long-range views across the National Landscape;
     
  3. include a lighting plan to minimise light spill to the nearby National Landscape;
     
  4. include boundary landscaping appropriate to the setting and taking into account existing trees and vegetation;
     
  5. ensure drainage schemes, including SuDS, are appropriate for the site and take into account the existing surface water sewer, the Impact Risk Zones and ground behaviour. Hydrological monitoring should inform the drainage plans for this site;
     
  6. Take into account the Southern Water infrastructure crossing the site;
     
  7. include appropriate active and sustainable travel infrastructure, including improvement to existing pedestrian and cycling routes;
     
  8. be supported by a Transport Assessment and Travel Plan. The Transport Assessment must take account of the site's proximity to The Ridge. Proposals must also indicate how the conclusions and recommendations of the Assessment have been incorporated within the development proposal;
     
  9. investigate the impact of ground behaviour and land stability and incorporate remediation or mitigation measures as appropriate;
     
  10. investigate the potential for contamination within or effecting the site, and incorporate remediation or mitigation measures as appropriate;
     
  11. be designed to avoid or, where this is not possible, mitigate the impact of potential pollution and environmental hazards to the environment, occupiers and neighbours;
     
  12. provide policy compliant green and blue infrastructure within the site

Policy ES6: UK Power Networks, Hastings Main, The Ridge/ Ivyhouse Lane Comment View map ES6 - UK Power Networks, Hastings Main, The Ridge/ Ivyhouse Lane

6.209The site occupies a prominent position in SIEA 2, and is well linked to the B2093 The Ridge with strong links to both the A259 (Brighton-Ashford) and the A21 (London). The site is contained within the Hastings main grid site and is not publicly accessible, with access to the site restricted to field staff due to the danger misuse of the site presents. It is expected to deliver updated operational space for the District Network Operator (DNO), including ancillary office functions.

6.210The site slopes to the North, with TPO trees along the Northern boundary. The site incorporates electricity infrastructure within the curtilage. Care should be taken to minimise risks associated with proximity to this infrastructure as much as possible, including ensuring appropriate overhead clearances for transmission and distribution lines are observed in line with GS6 and Policy SC18 (Pollution and Hazards). Due to the danger to local wildlife presented by the transmission lines, any ecological assessment will need to consider whether good quality onsite ecological enhancements can be delivered through an ecology report. In consideration of the constraints presented by this particular site, faunal enhancements such as bird and bat boxes will not be encouraged. However, ground based measures such as logpiles, hibernacula and hedgehog boxes will be welcomed.

6.211The site also has potential to accommodate low carbon technologies as part of any development, including heat pump technology where appropriate.

6.212The site is close to the National Landscape. Any development proposal must seek to avoid or minimise impact on these areas during both the construction and occupation phases of the development. There is already well-established boundary landscaping to the North and South sides of the site, which should be retained where possible. To the South side of the site, boundary landscaping should create an amenity buffer between the site and residential premises to the south side of B2093 The Ridge. A landscape impact assessment should inform the design of any scheme.

6.213The site sits within the Impact Risk Zone (IRZ) for Hastings Cliffs to Pett Beach SSSI, and Natural England should be consulted at the earliest possible stage. Any development proposal must seek to avoid or minimise negative impact on designated areas of landscape or environmental importance during both the construction and occupation phases of the development.

6.214A lighting plan will be required and must demonstrate how steps have been taken to reduce light spill from the site, including impacts on nearby residential premises to the south side of B2093 The Ridge.

6.215A small part of the Southwestern part of the site has high vulnerability to groundwater pollution. The introduction of pollutants to this aquifer or nearby surface water systems should be avoided during both construction and occupation phases.

6.216The site already benefits from direct access to the B2093 The Ridge, although there is also potential for a new or additional access to be created from Ivyhouse Lane. Due to the nature of the site, it is anticipated that the main mode of transport used to access it will be motorised fleet vehicles as opposed to more active forms of travel due to the primary purpose being the base facility for operational staff for delivering activity related to large scale electricity infrastructure maintenance and connection. Proposals should seek to provide EV charging infrastructure and work towards decarbonising the fleet where possible. Development proposals will need to show consideration of the transport impact along The Ridge, and a Transport Assessment and Travel Plan will be required. Further advice on transport matters is available from East Sussex County Council.

An outlined site marked in red on a black-and-white map, bordered by Lyhouse Lane to the west, The Ridge to the south, and residential areas with streets named Brook Way and Haywood Way to the north and east. The site contains several structures, including a large central building.
Figure 40: UK Power Networks, Hastings Main, The Ridge/ Ivyhouse Lane

Policy ES6: UK Power Networks, Hastings Main, The Ridge/ Ivyhouse Lane Comment View map ES6 - UK Power Networks, Hastings Main, The Ridge/ Ivyhouse Lane

Use: Employment

Minimum Indicative Capacity (minimum floorspace): 1,900sqm

Site area: 1.57ha

Proposals for development on this site should:

  1. be designed in a way that contributes positively to the intensification of SIEA2;
     
  2. include landscape impact assessment, taking into account both its setting and long-range views across the National Landscape;
     
  3. include an ecological constraints and opportunities plan (ECOP), taking into account site specific constraints and proposing suitable alternatives;
     
  4. include a lighting plan to minimise light spill;
     
  5. retain and enhance boundary landscaping appropriate to the setting to the north and south of the site, taking into account existing trees and vegetation and continuing to safeguard the amenity of residential premises opposite the site to the south;
     
  6. ensure drainage schemes, including SuDS, are appropriate for the site and take into account the Impact Risk Zone and ground behaviour. Hydrological monitoring should inform the drainage plans for this site;
     
  7. be supported by a Transport Assessment and Travel Plan. The Transport Assessment must take account of the site's proximity to The Ridge. Proposals must also indicate how the conclusions and recommendations of the Assessment have been incorporated within the development proposal;
     
  8. investigate the impact of ground behaviour and land stability and incorporate remediation or mitigation measures as appropriate;
     
  9. investigate the potential for contamination within or effecting the site, and incorporate remediation or mitigation measures as appropriate;
     
  10. be designed to avoid or, where this is not possible, mitigate the impact of potential pollution and environmental hazards to the environment, occupiers and neighbours;
     
  11. take into account the presence of overhead power transmission and distribution lines within the site and ensure that any scheme maintains easements and safe clearance distances during both the construction and occupation phases;
     
  12. provide policy compliant green and blue infrastructure within the site;

Policy ES7: Ivyhouse Lane, Northern Extension Comment View map ES7 - Ivyhouse Lane, Northern Extension

2.217The site occupies a prominent position in SIEA2, and is well linked to the B2093 The Ridge with strong links to both the A259 (Brighton-Ashford) and the A21 (London). It is an undeveloped site in close proximity to ES5 and slopes towards the South, with some undulation. A second slope system lies to the East, with evidence of overland flows connecting to a series of watercourses leading to culverts and sinks close to the railway line where it emerges from the Ore Tunnel. A fault line crosses the Northeast corner of the site. The site forms a natural extension to the Ivyhouse Lane estate and is capable of delivering additional units that are sensitive to the setting of the Rock Lane – Ivyhouse Lane area and the adjacent National Landscape as a whole. The site also has strong potential to accommodate low carbon technologies as part of any development, including solar PV.

2.218The site is within the National Landscape. Regard should be had to the High Weald National Landscape Area of Outstanding Natural Beauty (AONB) Unit Management Plan and associated Technical Guidance Although the site has been allocated to meet strategic employment needs, any development must take full account of the effect on its setting, and views of it from other parts of the National Landscape – in particular from the Rock Lane and Hastings Cemetery areas from which it is visible, and from the Caravan Park to the West. A landscape impact assessment should inform the design of any scheme.

2.219The National Landscape must be specifically referenced in any Ecological Constraints and Opportunities Plan (ECOP), and the site itself should be thoroughly surveyed to identify constraints and opportunities for delivering biodiversity net gain. Due to the site sitting within the Impact Risk Zone (IRZ) for Hastings Cliffs to Pett Beach SSSI, Natural England should be consulted at the earliest possible stage. Any development proposal must seek to avoid or minimise negative impact on designated areas of landscape or environmental importance during both the construction and occupation phases of the development.

2.220A lighting plan will be required due to the position of the site within the National Landscape and must demonstrate how steps have been taken to reduce light spill that may impact on this area. Additional guidance on lighting plans in this location is provided in the High Weald Unit’s Dark Skies Technical Advice Note.

2.221The site contains a well-defined tree boundary, as well as trees throughout the site. An arboriculture plan must also be provided to set out how existing trees will be either integrated into the proposal, or their loss will be compensated for. The site has a natural tree boundary that should be retained and enhanced where possible, particularly to the Northwest of the site where it borders a holiday park to safeguard the amenity of occupiers. The ECOP, lighting plan and arboriculture plan can form part of the same document if appropriate.

2.222A historic lane runs north-south within the site a provides some separation. Any proposal should ensure that it is sensitive to the setting of the lane itself and seek to incorporate it into the scheme.

2.223To the East of the track, there is an area with high vulnerability to groundwater pollution. The introduction of pollutants to this aquifer or nearby surface water systems or bodies should be avoided during both construction and occupation phases.

2.224Due to the size of the site, a Flood Risk Assessment will be required, which should incorporate recommendations for appropriate SuDS and measures to control surface water. Due to the topography, base geology and water interactions within the site, investigations of ground behaviour and land stability should take into account the hydrology and hydrogeology of the site, and a detailed land stability and drainage report will be required. Given the interactions between existing site hydrological features and the railway line, the potential for impact on the railway infrastructure nearby should be considered as part of this report and National Rail Route Asset Managers for Earthworks and Drainage should be consulted at an early stage.

2.225Transmission lines run to the East of the site, and care should be taken to ensure development of the site does not result in a loss of easements to maintain this infrastructure.

2.226Development proposals will need to show consideration of the transport impact along The Ridge, and a Transport Assessment and Travel Plan will be required. Improvements to better support access to the site through public and sustainable transport may be required. Proposals should seek to enhance pedestrian and cycling infrastructure both to local residential areas and to existing links within the National Landscape that may support better connectivity to Rock Lane. This could potentially be delivered in combination with site ES5. Further advice on transport matters is available from East Sussex County Council.

2.227Due to the proximity to the Borough boundary with neighbouring Rother District, relevant policies within their development plan documents will also apply. Assessments of environmental risk including flood risk, pollution and ground behaviour should consider the impacts from or on nearby areas in Rother District where this is relevant.

A walking route marked in red on a map, passing through a pond, a track, and two collection points near a camping and caravan park.
Figure 41: Ivyhouse Lane, Northern Extension

Policy ES7: Ivyhouse Lane, Northern Extension Comment View map ES7 - Ivyhouse Lane, Northern Extension

Use: Employment

Minimum Indicative Capacity (minimum floorspace): 7,000sqm

Site area: 5.42ha

Proposals for development on this site should:

  1. be designed in a way that contributes positively to the intensification of SIEA2;
     
  2. include an Ecological Constraints and Opportunities Plan (ECOP) and incorporate appropriate conservation and mitigation measures as recommended by the ECOP. The ECOP must make specific reference to the presence of the High Weald National Landscape, Impact Risk Zone, and adjacent Ancient Woodland, and include the results of site surveys of ES7 itself;
     
  3. Retain the historic sunken lane as a wildlife corridor;
     
  4. include landscape impact assessment, taking into account both its setting and long-range views across the National Landscape;
     
  5. provide an Arboriculture Plan that demonstrates how existing trees on site will be integrated into the development or their loss compensated for;
     
  6. include a lighting plan to minimise light spill within the National Landscape;
     
  7. include boundary landscaping appropriate to the setting and taking into account existing trees and vegetation, including to the north east to act as a buffer to the existing holiday park;
     
  8. ensure drainage schemes, including SuDS, are appropriate for the site and take into account the existing surface water sewer, the Impact Risk Zones, the potential for impact on railway assets, and ground behaviour. Hydrological and hydrogeological monitoring should inform the drainage plans for this site;
     
  9. preserve existing Rights of Way within the site;
     
  10. include appropriate active and sustainable travel infrastructure, including improvement to existing pedestrian and cycling routes;
     
  11. be supported by a Transport Assessment and Travel Plan. The Transport Assessment must take account of the site's proximity to The Ridge. Proposals must also indicate how the conclusions and recommendations of the Assessment have been incorporated within the development;
     
  12. investigate the impact of ground behaviour and land stability and incorporate remediation or mitigation measures as appropriate;
     
  13. investigate the potential for contamination within or effecting the site, and incorporate remediation or mitigation measures as appropriate;
     
  14. be designed to avoid or, where this is not possible, mitigate the impact of potential pollution and environmental hazards to the environment, occupiers and neighbours;
     
  15. ensure easements to transmission lines to the east of the site are maintained during all phases of development;
     
  16. provide policy compliant green and blue infrastructure within the site.

Policy ES8: Land at the junction of The Ridge West and Queensway Comment View map ES8 - Land at the junction of The Ridge West and Queensway

6.228The site occupies a prominent position in SIEA1, and is accessed from A2690 Queensway with strong links to both the A259 (Brighton-Ashford) and the A21 (London). The site is capable of delivering a range of layouts. Combined with ES9 (adjacent), the site has potential to deliver a small business park due to the favourable access conditions created by the roundabout at Whitworth Road. It is anticipated that the development of the site will be phased, and proposals should clearly set out the sequence of any phasing in order that planning obligations can be attached to suitable milestones. The site also has strong potential to accommodate low carbon technologies as part of any development, including solar PV.

6.229The site is sloping, with a steep and heavily vegetated embankment to the West and Northwest of the site adjacent A2690 Queensway. Another area of embankment is located to the South where the site borders Whitworth Road. This results overall in a basin-like topography, with areas of undulation. There is the potential for artificial (or ‘made’) ground to be present within the site. A watercourse crosses the Southeast corner of the site into ES9 through a culvert below Whitworth Road, with a depression surrounding the culvert entrance. A fault line is also present in the far Southeast of the site, extending across ES9. There is a track along the Eastern boundary of the site, entering the site close to the Southeast corner. The track continues through a subway to ES9 and terminates at Beauport Farm Close.

6.230It is mainly open grassland and is surrounded by woodland with some belts of trees, including TPO trees in the Southwest and Northeast corners of the site. It is positioned close to the High Weald National Landscape and is adjacent to a Local Wildlife Site to the East that overlaps with ES9. These designated areas must be specifically referenced in any Ecological Constraints and Opportunities Plan (ECOP), and the site itself should be thoroughly surveyed to identify constraints.

6.231Due to the site sitting within the Impact Risk Zone (IRZ) for the Marline Valley Woods SSSI, Combe Haven SSSI and the Maplehurst Woods SSSI Natural England should be consulted at the earliest possible stage. The cumulative impact of development within the IRZs should be considered alongside the impact of this development alone. Any development proposal must seek to avoid or minimise impact on areas of environmental and landscape significance during both the construction and occupation phases.

6.232A lighting plan will be required due to the close proximity to areas of wildlife sensitivity and must demonstrate how steps have been taken to reduce light spill that may impact on these areas. An arboriculture plan must also be provided to set out how existing trees will be either integrated into the proposal, or their loss will be compensated for. The site has a natural tree boundary that should be retained and enhanced where possible. The ECOP, lighting plan and arboriculture plan can all form part of the same document if appropriate.

6.233Due to the size of the site a Flood Risk Assessment will be required, and drainage schemes to manage surface water should form part of any proposal. Surface water flows towards the Southwest corner where the site meets the junction of Whitworth Road and Queensway, and development proposals should ensure that there is adequate drainage in this area. There is a pond to the South of the site in ES9 that should be considered when designing any drainage scheme.

6.234The majority of the site has a high vulnerability to groundwater pollution, and the introduction of pollutants to the highly vulnerable groundwater aquifer within the site should be avoided during both phases. Development proposals should seek to avoid breaching the underlying sandstone layer.

6.235Due to the topography and geology of the site and the potential presence of artificial ground, investigations of ground behaviour and land stability should take into account site hydrology, hydrogeology and the impact of loading on existing structures. A detailed stability report will be required.

6.236Development proposals will need to show consideration of the transport impact along The Ridge and the A21 (John Macadam Way). Any proposed access via the roundabout at Whitworth Road should take into account the watercourse and the depression surrounding the culvert entrance and take care to consider the impact of loading on any existing structures. Care should be taken to avoid the culvert becoming blocked during or following construction.

6.237Improvements to better support access to the site through public and sustainable transport may be required, including creating a navigable connection to track Hastings 131a that connects to the housing estate at Beauport Home Farm. Opportunities to better connect this footpath to Hastings 130 should also be explored to allow better pedestrian connections to residential neighbourhoods at Harrow Lane. Further advice on transport matters is available from East Sussex County Council.

A map showing a plot of land outlined with a red border, located near roundabouts at Queen's Way and Whitworth Road, with surrounding residential and commercial buildings.
Figure 42: Land at the junction of Ridge West and Queensway

Policy ES8: Land at the junction of The Ridge West and Queensway Comment View map ES8 - Land at the junction of The Ridge West and Queensway

Use: Employment

Minimum Indicative Capacity (minimum floorspace): 6,000sqm

Site area: 2.95ha

Proposals for development on this site should:

  1. be designed in a way that contributes positively to the intensification of SIEA1;
     
  2. include an Ecological Constraints and Opportunities Plan (ECOP) and incorporate appropriate conservation and mitigation measures as recommended by the ECOP. The ECOP must make specific reference to the presence of nearby Sites of Special Scientific Interest (SSSI), TPO trees, Impact Risk Zones for all potentially affected SSSI, the results of site surveys of ES8 itself, and to other nearby areas of wildlife sensitivity;
     
  3. include measures to conserve and enhance the setting of the High Weald National Landscape;
     
  4. include a lighting plan to minimise light spill to nearby areas of wildlife sensitivity including the adjacent Local Wildlife Site;
     
  5. include boundary landscaping to act as a buffer to Queensway and The Ridge;
     
  6. provide an Arboriculture Plan that demonstrates how existing trees on site will be integrated into the development, or their loss will be compensated for including the existing tree belts running through the centre of the site;
     
  7. include a Flood Risk Assessment, and demonstrate how the proposal will deliver flood resilient design based on the recommendations of this report. Site appropriate SuDS and surface water management measures should be identified as part of this process, taking into account the impact on watercourses, culverts, SSSI Impact Risk Zones and groundwater pollution vulnerability. Hydrological and hydrogeological monitoring should inform the drainage plans for this site.
     
  8. include appropriate active and sustainable travel infrastructure;
     
  9. be supported by a Transport Assessment and Travel Plan. The Transport Assessment must take account of the site's proximity to The Ridge and the A21. Proposals must also indicate how the conclusions and recommendations of the Assessment have been incorporated within the development. In addition, development may be required to contribute to transport improvements on The Ridge and/ or A21;
     
  10. investigate the impact of ground behaviour and land stability, including the impact on existing structures, and incorporate remediation or mitigation measures as appropriate;
     
  11. investigate the potential for contamination within or effecting the site, and incorporate remediation or mitigation measures as appropriate;
     
  12. be designed to avoid or, where this is not possible, mitigate the impact of potential pollution and environmental hazards to the environment, occupiers and neighbours;
     
  13. investigate the potential to make navigable connections to housing estates at Beauport Home Farm and Harrow Lane by improving footpath access;
     
  14. provide policy compliant green and blue infrastructure within the site;
     
  15. ensure future access to Southern Water infrastructure crossing the site.

Policy ES9: Land at Whitworth Road Comment View map ES9 - land at Whitworth Road

6.238The site occupies a prominent position in SIEA1, and is accessed from A2690 Queensway with strong links to both the A259 (Brighton-Ashford) and the A21 (London). The site is capable of delivering a range of layouts. Combined with ES8 (adjacent), the site has potential to deliver a small business park due to the favourable access conditions created by the roundabout at Whitworth Road. It is anticipated that the development of the site will be phased, and proposals should clearly set out the sequence of any phasing in order that planning obligations can be attached to suitable milestones. The site also has strong potential to accommodate low carbon technologies as part of any development, including solar PV.

6.239The site is sloping with a steep embankment along the Northern border where it meets Whitworth Road. Ground levels within the site are various, and historic areas of artificial ground may be present. There are watercourses within the site, also crossing ES8 and emerging in the Northeast of the site from a culvert below Whitworth Road. There is a depression where the watercourse emerges from the culvert. A large detention pond is also present in the Northwest of the site. A geological fault runs broadly through the centre of the site on a Northeast – Southwest angle. Towards the Southeast boundary of the site, this fault meets with another fault system. There is a track along the Western part of the site, starting from The Ridge and emerging through a subway from ES8. The track terminates at Beauport Farm Close.

6.240The overall character of the site is mainly open grassland and is surrounded by woodland with some belts of trees, with some individual trees carrying a TPO. The site sits within a Local Wildlife Site, is also within the Impact Risk Zone (IRZ) for the Marline Valley Woods SSSI, Combe Haven SSSI and the Maplehurst Woods SSSI Natural England should be consulted at the earliest possible stage. The cumulative impact of development within the IRZs should be considered alongside the impact of this development alone.

6.241These designated areas must be specifically referenced in any Ecological Constraints and Opportunities Plan (ECOP), and the site itself should be thoroughly surveyed to identify constraints. Any development proposal must seek to avoid or minimise impact on areas of environmental and landscape significance during both the construction and occupation phases.

6.242A lighting plan will be required due to the presence of areas of wildlife sensitivity and must demonstrate how steps have been taken to reduce light spill that may impact on these areas. An arboriculture plan must also be provided to set out how existing trees will be either integrated into the proposal, or their loss will be compensated for. The site has a natural tree boundary that should be retained and enhanced where possible. The ECOP, lighting plan and arboriculture plan can all form part of the same document if appropriate. Should the site be combined with adjacent ES8, there is potential for these assessments to cover the combined site area.

6.243Part of the site is in Flood Zone 3, and therefore a Flood Risk Assessment will be required, and drainage schemes to manage surface water should form part of any proposal. There is a balancing pond to the south that should be considered when designing any drainage scheme.

6.244The entirety of the site has a high vulnerability to groundwater pollution, and the introduction of pollutants to the highly vulnerable groundwater aquifer within the site should be avoided during both phases. Development proposals should seek to avoid breaching the underlying sandstone layer.

6.245Due to the topography and geology of the site and the potential presence of artificial ground, investigations of ground behaviour and land stability should take into account site hydrology, hydrogeology and the impact of loading on existing structures. A detailed stability report will be required.

6.246Any proposed access via the roundabout at Whitworth Road should take into account the watercourse and the depression surrounding the culvert and take care to consider the impact of loading on any existing structures. Care should be taken to avoid the culvert becoming blocked during or following construction.

6.247Development proposals will need to show consideration of the transport impact along The Ridge and the A21 (John Macadam Way). Improvements to better support access to the site through public and sustainable transport may be required, including creating a navigable connection to footpath Hastings 131a that connects to the housing estate at Beauport Home Farm. Opportunities to better connect this footpath to Hastings 130 should also be explored to allow better pedestrian connections to residential neighbourhoods at Harrow Lane. Further advice on transport matters is available from East Sussex County Council.

Outline of a plot of land enclosed by a red line, located near a roundabout on Whitworth Road, with nearby roads and buildings.
Figure 43: Land at Whitworth Road

Policy ES9: Land at Whitworth Road Comment View map ES9 - land at Whitworth Road

Use: Employment

Minimum Indicative Capacity (minimum floorspace): 6,000sqm

Site area: 1.66ha

Proposals for development on this site should:

  1. be designed in a way that contributes positively to the intensification of SIEA1;
     
  2. include an Ecological Constraints and Opportunities Plan (ECOP) and incorporate appropriate conservation and mitigation measures as recommended by the ECOP. The ECOP must make specific reference to the presence of nearby Sites of Special Scientific Interest (SSSI), TPO trees, Impact Risk Zones for all potentially affected SSSI, the results of site surveys of ES9 itself, and to other nearby areas of wildlife sensitivity;
     
  3. include measures to conserve and enhance the setting of the High Weald National Landscape;
     
  4. include a lighting plan to minimise light spill to nearby areas of wildlife sensitivity including the adjacent Local Wildlife Site;
     
  5. include boundary landscaping to act as a buffer to Queensway and The Ridge;
     
  6. provide an Arboriculture Plan that demonstrates how existing trees on site will be integrated into the development, or their loss will be compensated for including the existing tree belts running through the centre of the site;
     
  7. include a Flood Risk Assessment, and demonstrate how the proposal will deliver flood resilient design based on the recommendations of this report. Site appropriate SuDS and surface water management measures should be identified as part of this process taking into account the impact on watercourses, culverts, SSSI Impact Risk Zones and groundwater pollution vulnerability. Hydrological and hydrogeological monitoring should inform the drainage plans for this site;
     
  8. include appropriate active and sustainable travel infrastructure;
     
  9. be supported by a Transport Assessment and Travel Plan. The Transport Assessment must take account of the site's proximity to The Ridge and the A21. Proposals must also indicate how the conclusions and recommendations of the Assessment have been incorporated within the development. In addition, development may be required to contribute to transport improvements on The Ridge and/ or A21;
     
  10. investigate the impact of ground behaviour and land stability, including the impact on existing structures, and incorporate remediation or mitigation measures as appropriate;
     
  11. investigate the potential for contamination within or effecting the site, and incorporate remediation or mitigation measures as appropriate;
     
  12. be designed to avoid or, where this is not possible, mitigate the impact of potential pollution and environmental hazards to the environment, occupiers and neighbours;
     
  13. investigate the potential to make navigable connections to housing estates at Beauport Home Farm and Harrow Lane by improving footpath access;
     
  14. provide policy compliant green and blue infrastructure within the site;

Policy ES10: Marline Fields, Enviro21 Business Park, Land West of Queensway Comment View map ES10 - Marline Fields, Enviro21 Business Park, Land West of Queensway

6.248The site occupies a prominent position in SIEA1, and is accessed from A2690 Queensway with strong links to both the A259 (Brighton-Ashford) and the A21 (London). This site is the second phase of the Enviro21 Business Park and has been cleared and prepared for development and has good access through the existing spine road. It is capable and is capable of accommodating an extension to the existing park. The site also has strong potential to accommodate low carbon technologies as part of any development, including solar PV and the potential for small scale wind generation as part of any scheme may also be explored.

6.249The site is adjacent to a Site of Special Scientific Interest and Local Wildlife Site, with Ancient Woodland nearby. These designated areas must be specifically referenced in any Ecological Constraints and Opportunities Plan (ECOP), and the site itself should be thoroughly surveyed to identify constraints. Due to the site sitting within the Impact Risk Zone (IRZ) for the Marline Valley Woods SSSI, Natural England should be consulted at the earliest possible stage.

6.250Any development proposal must seek to avoid or minimise impact on these areas during both the construction and occupation phases of the development, in particular the hydrological effects of drainage into the Marline Valley Stream. The introduction of pollutants to the highly vulnerable groundwater aquifer within the site should likewise be avoided during both phases and cumulative impacts of development within the IRZ should be considered. Development proposals should seek to avoid breaching the underlying sandstone layer.

6.251The site slopes away steeply towards the SSSI to the West and occupies a relatively high position within the valley. Due to these characteristics and the base geology, investigations of ground behaviour and land stability should take into account the hydrology and hydrogeology of the site, and a detailed stability report will be required. Proposals for SuDS that include attenuation may be appropriate subject to hydrological, hydrogeological and ground behaviour assessments.

6.252A lighting plan will be required due to the close proximity to areas of wildlife sensitivity and must demonstrate how steps have been taken to reduce light spill that may impact on these areas. An arboriculture plan must also be provided to set out how existing trees will be either integrated into the proposal, or their loss will be compensated for. The site has a natural tree boundary that should be retained and enhanced where possible. The ECOP, lighting plan and arboriculture plan can all form part of the same document if appropriate.

6.253Due to the size of the site, a Flood Risk Assessment will be required. This must take into account the risk of surface water flooding and incorporate mitigation measures as appropriate.

6.254Improvements to the pedestrian connection to Napier Road and footpath Hastings 34a should be considered. Development proposals will need to show consideration of the transport impact and provide a transport assessment and travel plan. Further improvements to better support access to the site through public and sustainable transport may be required. Further advice on transport matters is available from East Sussex County Council.

Outline of a property in red along Queensway South, adjacent to buildings and a road with a vehicle.
Figure 44: Marline Fields, Enviro21 Business Park, Land West of Queensway

Policy ES10: Marline Fields, Enviro21 Business Park, Land West of Queensway Comment View map ES10 - Marline Fields, Enviro21 Business Park, Land West of Queensway

Use: Employment

Minimum Indicative Capacity (minimum floorspace): 5,300sqm

Site area: 1.48ha

Proposals for development on this site should:

  1. be designed in a way that contributes positively to the intensification of SIEA1;
     
  2. include an Ecological Constraints and Opportunities Plan (ECOP) and incorporate appropriate conservation and mitigation measures as recommended by the ECOP. The ECOP must make specific reference to the presence of the adjacent Site of Special Scientific Interest (SSSI), the results of site surveys of ES10 itself, and to other nearby areas of wildlife sensitivity.
     
  3. include a lighting plan to minimise light spill to nearby areas of wildlife sensitivity, including SSSI, Ancient Woodland and Local Wildlife Site;
     
  4. provide an Arboriculture Plan that demonstrates how existing trees on site will be integrated into the development, including the existing tree belts running through the centre of the site, and at the western boundary;
     
  5. include a Flood Risk Assessment, and demonstrate how the proposal will deliver flood resilient design based on the recommendations of this report, taking into account the impact on the Marline Valley Stream, the SSSI and groundwater pollution vulnerability. Hydrological and hydrogeological monitoring should inform the drainage plans for this site. Site appropriate SuDS and surface water management measures should be identified as part of this process;
     
  6. include appropriate active and sustainable travel infrastructure;
     
  7. be supported by a Transport Assessment and Travel Plan. Proposals must also indicate how the conclusions and recommendations of the Assessment have been incorporated within the development.;
  8. investigate the impact of ground behaviour and land stability and incorporate remediation or mitigation measures as appropriate;
     
  9. investigate the potential for contamination within or effecting the site, and incorporate remediation or mitigation measures as appropriate;
     
  10. be designed to avoid or, where this is not possible, mitigate the impact of potential pollution and environmental hazards to the environment, occupiers and neighbours;
     
  11. investigate the potential to make navigable connections to Napier Road and the SSSI by improving footpath access and crossing points;
     
  12. provide policy compliant green and blue infrastructure within the site;
For instructions on how to use the system and make comments, please see our help guide.
back to top back to top